

关于大兴区黄村镇孙村组团DX03-0200-0409、0410地块控制性详细规划方案的公示
(公示期30天)
黄村地震台现址位于大兴新城海户新村回迁安置房0601地块范围内
该安置房项目定向用于海户新村被拆迁人的回迁安置
黄村地震台的拆迁工作
影响了安置房的施工建设时序

从2010年海户项目启动拆迁工作至今
0601地块一直无法实现回迁安置
大兴区政府于2018年3月15日
组织各相关部门就此事召开专题会
明确黄村地震台搬迁重建相关事宜
进而启动该项目的规划编制工作
《大兴区黄村镇孙村组团DX03-0200-0409、0410地块控制性详细规划》
已编制完成
根据《中华人民共和国城乡规划法》
(中华人民共和国主席令第七十四号)的有关规定
现对规划成果进行公示,听取公众意见
公示期限30天
北京市大兴区黄村镇孙村组团东南部

东至北京一手店食品有限公司,南至孙村组团D-09 地块中部,西至盛豫街道路中线,北至阜顺北路道路中线。
2.52公顷

约1.38万平方米

xxgkgs@163.com


大兴区西红门镇集体经营性建设用地入市试点2号地C地块F81绿隔产业用地使用权挂牌出让公告
根据国家和北京市关于集体经营性建设用地入市的相关规定,经北京市大兴区人民政府批准,北京市盛世宏祥资产管理有限公司决定在北京市土地交易市场大兴分市场公开挂牌出让北京市大兴区西红门镇集体经营性建设用地入市试点2号地C地块(2-006-1)使用权。


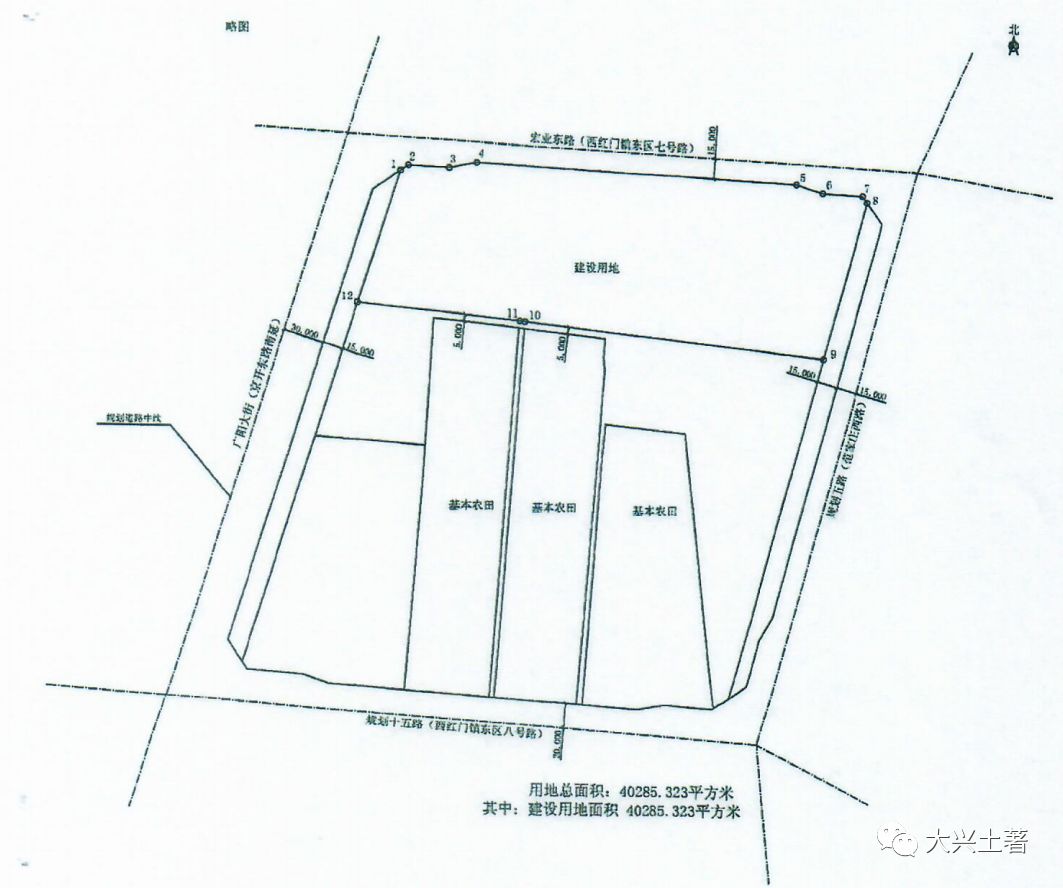
本次挂牌出让宗地位于大兴区西红门镇,具体四至范围是:东至欣昌街,西至广阳大街,南至西红门镇 2 号地 D 地块,北至宏业东路。
该宗地以临“三通一平”形式供地,竣工验收前达到“六通一平”的条件。

▲项目四置位置及现状位置图
该宗地块具体规划技术指标如下:
※ 建设用地使用性质:F81 绿隔产业用地
※ 总建设用地面积:40285.323 平方米
※ 总建筑规模:≤80571 平方米
※ 容积率:≤2.0
▲规划经济技术指标

来源:北京市规划国土委官网
编辑整理:土著哥
