◆GCC 联泰超总湾◆☎️开发商电话: 400-8637-726【开发商电话已认证】☑☑☑
◆丨项目介绍丨户型图丨在售房源丨特价房丨学校丨交通位置丨样板房丨小区图片丨交房时间丨周边配套丨
房子没有完美的,只要符合自己需求的。
咨询预约热线:400-8637-726
预约看房,置业顾问一对一对接
在售户型图丨项目介绍丨房源丨周边配套丨详细解答
开发商媒体直销中心_欢迎来电预约享受内部折扣_恭迎品鉴!
温馨提示:看房请提前来电预约,谢谢您的配合!(中介勿扰)
深超总「GCC联泰超总湾」12月16日开盘,官方对外发布的数据,当日实现销售额约53亿元,去化近八成。
相较于11月30日开盘的深圳湾澐玺越高越好卖,联泰恰恰相反,中低区90套房源几乎售罄,剩下的多为402-568的高区单位。◆GCC 联泰超总湾◆☎️开发商电话: 400-8637-726【开发商电话已认证】☑☑☑
同样地处深圳湾核心板块,同样是顶豪定位,为何会出现“联泰低区香,澐玺高区俏”的鲜明反差?
1.景观差异,联泰超总湾低区南向看海景,北向看华侨城湿地公园,基本属于无遮挡。
2.价格策略的差异,低区均价11.7万/㎡,中区14.1万/㎡,高区则飙升至18.9万/㎡,中低区性价比优势极为明显。
3.联泰超总湾的主力买家以“80后”企业主、金融精英、行业领军人物为主,其中不乏大量外地客户和整层购买的资产配置型客群,深圳湾澐玺的客群则以“终极改善型”为主。◆GCC 联泰超总湾◆☎️开发商电话: 400-8637-726【开发商电话已认证】☑☑☑
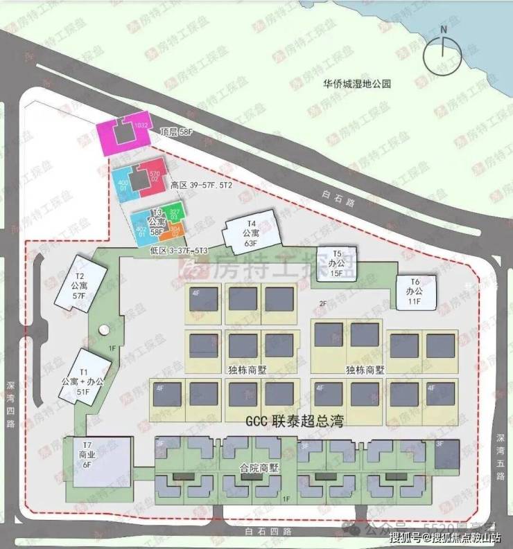
首推T3栋共125套,面积304-327--402-568-1032㎡户型。
低区(3-11层)304-327-402㎡,均价约11.7万/㎡,总价3330-5098万
中区(12-37层)304-327-402㎡,均价约14.1万/㎡,总价3766-6151万
高区(39-57层)400-570㎡,均价约18.9万/㎡,总价6524万-1.2亿
顶层一层一户(建面约1032㎡),单价34万/㎡,总价超3.5个亿。
作为深超总最大的居住地块,容积率仅为3.0,同时拥有城市、山海、湿地以及公园的极致生态和无遮挡景观。
2027年年低精装交付,物业费18.6元/m²/月。
因为是商务公寓属性,可以做阳台,通燃气,独立电梯厅以及全套房设计,300㎡只做了2房,只能说把奢华做到了极致。
304㎡做2房3卫+家政套间,327㎡做3房4卫+家政套间,402㎡做4房4卫+家政套间,568㎡4+1房五卫+家政套间,1032㎡大平层。◆GCC 联泰超总湾◆☎️开发商电话: 400-8637-726【开发商电话已认证】☑☑☑



基础信息
位于深超总东端,东面是华侨城蓝楹湾,南面是TCL和学校用地,西面是京东深圳总部,北面是华侨城湿地公园。

占地约9.23万㎡,容积率3.0,建筑面积约27.7万㎡,其中商务公寓约18.2万㎡,办公7.8万㎡,商业1.2万㎡,车位比:1:2.3(约2766个)。◆GCC 联泰超总湾◆☎️开发商电话: 400-8637-726【开发商电话已认证】☑☑☑
由4栋超高层公寓+2栋小高层写字楼+35栋商墅+1栋商业组成。
35栋办公属性别墅(19套独栋董事公馆+16套合院别墅)。
公寓主力户型为304㎡、327㎡、402㎡、570㎡以及1032㎡,公寓层高3.6米,低区5T3,高区5T2。
304㎡2房3卫+家政套间
3栋低区3-37F,大横厅以及等宽大阳台,客餐厅及卧室都朝南向,应该是低区看景观面最多最好的户型,做了双套房。
缺点就是只做了2房,采光面不足导致有两个黑卫,主卫与睡眠区流线不合理。◆GCC 联泰超总湾◆☎️开发商电话: 400-8637-726【开发商电话已认证】☑☑☑
327㎡3房4卫+家政套间
3栋低区3-37F,东北朝向,主卧双面采光视野开阔,空间尺度都还行。
缺点同样有两个黑卫,最主要是看不到海。
402㎡4房4卫+家政套间
3栋低区3-37F,三面采光,客厅及主卧朝南看海,除了书房其它卧室全套房设计,该有的功能和尺度都给到了,要说缺点的话就是主卧整体尺度偏局促了一点。◆GCC 联泰超总湾◆☎️开发商电话: 400-8637-726【开发商电话已认证】☑☑☑
568㎡4+1房5卫+家政套间
3栋高区39-57F,三面采光,客厅及主卧朝南看海,全套房设计外加家庭厅,该有的功能和尺度都给到了。
联泰超总湾占地面积9.6万㎡,总建筑面积27.7万㎡,项目由四栋公寓、两栋商办、19套独栋和16套合院别墅组成,其中商务公寓约1.8万m²、办公约7.8万m²及商业约1.4万m²。

03
深圳湾超级总部基地

深圳湾超级总部基地(简称“深超总”)是深圳战略发展的核心地区,深圳不乏总部基地,但以“超级总部”冠名的总部经济发展区块,唯有深圳湾超级总部基地。
深圳湾超级总部基地用地面积约117公顷,规划总开发建筑面积约520万平方米,是目前深圳定位最高、分量最重、影响最大的重点建设片区之一。
所以在整个区域及办公设计上也是最高端的,基本上全是世界顶级设计事务所。
◆GCC 联泰超总湾◆☎️开发商电话: 400-8637-726【开发商电话已认证】☑☑☑
🏅关于本最新动态信息,如:房价,主力户型面积,最低折扣,等等,剩余户型楼层,去化率,几号地铁哪个地铁口,周边规划,
项目的优劣势以及学校的配套等等都可以致电售楼处进行了解,我们将会安排内场专业置业顾问为您答疑解惑!
📢【搜狐焦点·本项目专属咨询】「房价/户型/折扣/学区/地铁全解析!」
🔥最新房源动态、稀缺折扣、限时名额一键获取,极速响应!
✅搜狐焦点认证顾问1v1服务独家到访礼/成交礼仅限线上预约!
⏰24小时线上预约!!!
☎ 马上拨打售楼处专线:400-8637-726(一键直连/预约看房)
免责声明:部分信息来源于网络,如果侵权,请联系及时删除本宣传资料不构成邀约邀请,
对周边、政府规划、商业配套、教育资源、投资前景等数据和图文仅为提供相关信息,该信息以政府最终批文为准,开发商不对此作任何承诺。
买卖双方的权利义务以双方签订的买卖合同约定及附件、实际交付为准,本公司保留对宣传资料修改的权利,敬请留意最新资料。联系号码:400-8637-726。