美域蓝湾花园售楼处电话\\深圳【美域蓝湾花园】营销中心发布

搜狐焦点慈溪站

2025-07-19 15:08:17

购房群

买房如何避坑,加入购房群,看看他们怎么说

立即进群

深圳【美域蓝湾花园】🔴售楼处电话☎400-033-1899转接7777【售楼中心】【已认证】

深圳【美域蓝湾花园】🟢营销中心电话📞400-033-1899转接7777【营销中心】【已认证】

项目全面介绍,楼盘最低价格和最新优惠折扣,包含楼盘简介、售楼电话、小区户型图片、营销中心位置、区位优势、交通、周边商业配套、户型图等楼盘详情

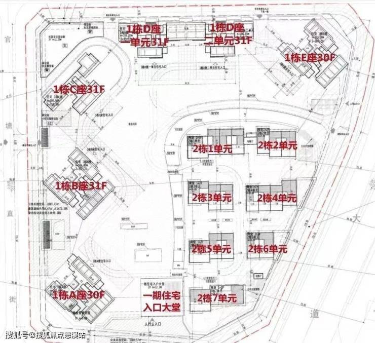
美域蓝湾花园,位于龙岗大运新城龙飞大道与清辉路交界处,由蓝湾房地产有限公司开发,占地面积约3.5万㎡,总建筑面积约17万㎡,计容建筑面积约12.7万㎡,容积率3.21,绿化率40.78%,共由5栋6座30-31层高的住宅,7栋2层的商墅组成,其中1栋A/E座住宅32F,1栋B/C座住宅33F,1栋D座1/2单元住宅32F,2栋是商墅,商业面积约1.49万㎡。

总规划845户,全部都是商品房,1栋A/B/E座为3梯6户设计,1栋C座2梯4户,1栋D座2梯3户设计。地下室有2层,车位1135个(车位比1:1.34)。

小区外立面采用更符合时代审美的多彩石漆,搭配LOW-E中空玻璃和3.0氟碳喷涂铝板,并对标万科瑧系豪宅引入了20余项智能化社区配置,打造有2.5万㎡中心花园,阶梯式双层园景。

开发商:深圳市蓝湾房地产开发有限公司

物业公司:深圳市业尊物业服务有限公司

物业管理费:4.8元/㎡

总占地面积:约3.5万㎡

总建筑面积:约17万㎡

容积率:3.21

绿化率:40.78%

产权年限:2021.12.30-2091.12.29年(70年)

总户数:845户

总栋数及楼高:5栋6座,30-31层

梯户比:1栋A/B/E座3梯6户,1栋C座2梯4户,1栋D座2梯3户

停车位:1135个

车位占比:1:1.34

交房时间:2025年11月

交付标准:精装修

项目户型

平面图及户型图

深圳【美域蓝湾花园】🔴售楼处电话☎400-033-1899转接7777【售楼中心】【已认证】

深圳【美域蓝湾花园】🟢营销中心电话📞400-033-1899转接7777【营销中心】【已认证】

全部
报名成功
稍后会有专业的置业顾问联系您
返回楼盘

频道导航

返回首页

看房小程序

APP下载

电话拨通后,请您手动拨打分机号

确定拨打电话

电话号码:

分机号:(可能需要拨分机号)