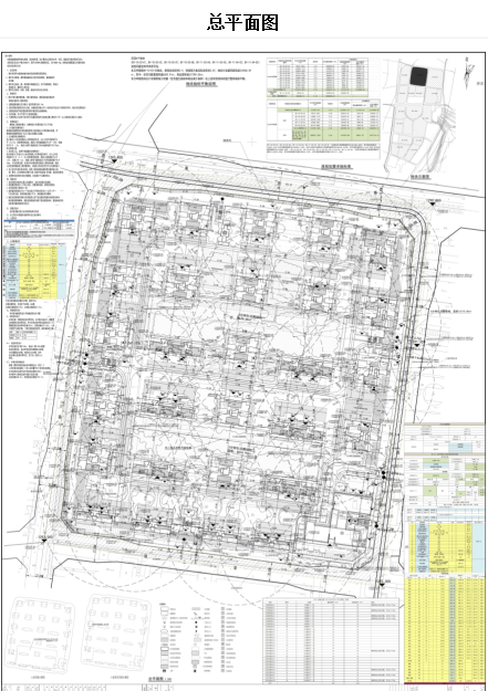
12月4日,贵阳市自然资源和规划局发布了白云区中天金融北城03地块项目政审审批前公示,据文件显示,此次申报单位为贵州中天瑞铭房地产开发有限公司,规划总用地面积为134859.18平方米。

据悉,中天·金融北城BY-10-03-03地块项目主要经济指标为总建筑面积456196.83㎡,计容面积为336025.55㎡,不计容面积为120171.28㎡;其中住宅面积为326466.74 ㎡,商业面积9558.81㎡。
该项目容积率为2.87;建筑密度为21.96%;绿地率35.39%。本次规划建筑总栋数为36栋,较高建筑高度为97.15米,总户数为2882户,停车位共3422个,配套建设包含幼儿园(12班)、16710.85㎡5分钟生活圈绿地等。

效果图



转载请注明来源!