首页-2025青溪云邸售楼处电话丨青溪云邸户型图丨青溪云邸项目售楼处电话地址

淮南楼市观察

2025-08-24 11:24:50

购房群

买房如何避坑,加入购房群,看看他们怎么说

立即进群

青溪雲邸售楼处电话:400-9659-259

青溪雲邸官方电话:400-9659-259

青溪雲邸官方电话:400-9659-259...(预约热线)➨青溪雲邸官方售楼处电话地址☎:400_9659-259√√⭐来电可了解楼盘最新动态、在售房价优惠、户型面积房源、交房时间、地铁商业、学区配套等信息!专业销售顾问将为您提供一对一贴心服务,全程陪伴您的购房之路!

青溪雲邸售楼处电话:400-9659-259

论土地的开发速度,还得是看这些老牌开发商。

早早就拿到土地的新长宁程家桥项目,至今还没有一点要入市的动静。

而在去年第八轮土拍中,刚拿地不久的招商&越秀北新泾项目,已经公布了设计方案,户型图也开始流出。

有风声放出,将今年二季度入市。

编辑

青溪雲邸售楼处电话:400-9659-259

长宁区的供应向来稀缺,近期入市的只有一个大面积高总价的别墅产品——青溪雲邸。招商越秀项目,是这里近期唯一的,常规购房者能够得上的住宅项目。

01

网传13-14万的均价

不算特别贵,但也不便宜

首先是价格层面。

根据网上目前传出的信息,项目预计会卖到13-14万。

如果从周边二手房的角度来讲,项目的性价比不算差,但也很难说是在优秀这一档。

项目旁边就是元丰天山花园,根据安居客数据显示,项目目前的挂牌价在7-8万左右.当然了,作为一个07年的老小区,这个价格是偏低的。

编辑

青溪雲邸售楼处电话:400-9659-259

根据链家网显示,北新泾次新房中海长宁邸最近的售价在10.5万左右,和项目预估的售价存在2万元/平的正挂。正挂幅度大约在20%左右。

编辑

当然,如果拿它西郊紫薇花园做对比,成交价确实是基本相仿。

编辑

青溪雲邸售楼处电话:400-9659-259

根据相关自媒体在去年年末的统计,上海如今的新房价格比二手,普遍存在约17%的倒挂。

在如今新房地价全面狂飙的大环境下,招商越秀项目约20%的正挂幅度,确实算不上什么。

当然了,笔者还是那句话,现在考虑性价比的话建议买二手。

新房就是为更新的楼龄和更卷的产品力支付溢价。

新房做横向比较,又得分不同情况。

如果和如今这一批新房相比,确实没什么竞争空间。

毕竟如今这个价格,是静安中兴路和苏河湾、是虹口临平路、是浦东世纪大道、是杨浦滨江带……

如果再往前两个月,你还能买在徐汇滨江。

一个个都是响当当的,得到市场认可的板块。

如果和以后的不限价新房比,那又得两说。

如果静安大宁项目真的如传闻拿到16万,其它中环地块的推测价格都在13万左右,那回过头再看13万的内中环长宁地块,那确实就不太贵。

这一切都得等这几个项目入市才能做定论。

02

周边虽有老破小

但综合产品力依旧能打

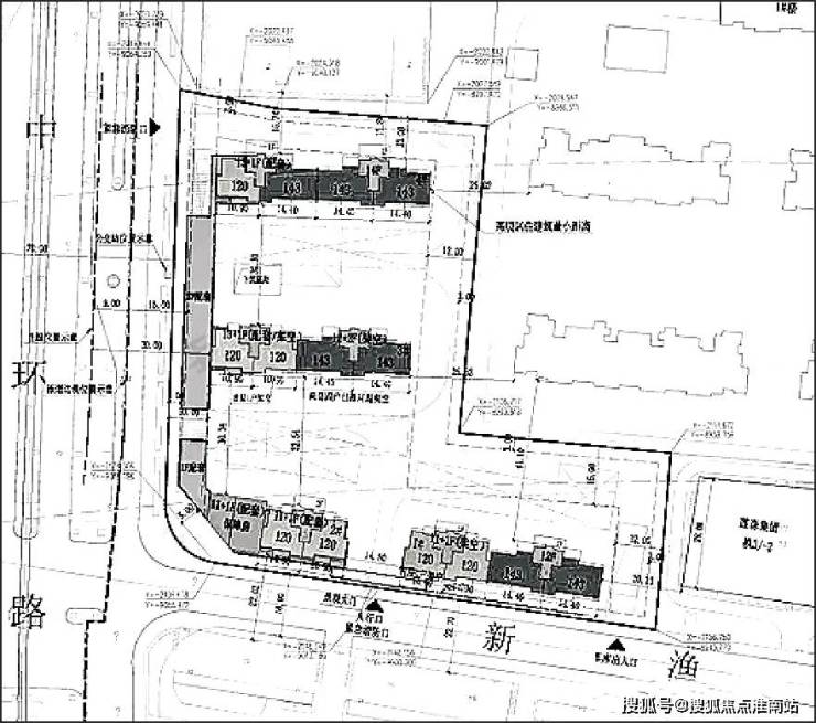
之后我们再来聊一下项目的产品力。先看已经公布的设计规划:

编辑

青溪雲邸售楼处电话:400-9659-259

要说最明显的不利因素,就是它紧贴中环路。

虽说做了一些内退,但这个距离还是很难彻底解决噪音问题。三玻两腔的玻璃估计是标配了。只要不开窗就是岁月静好。

目前流传出的户型图信息较少,我们暂时先给一个简单的分析:

建面约120㎡3房

编辑

青溪雲邸售楼处电话:400-9659-259

建面约143㎡4房

编辑

青溪雲邸售楼处电话:400-9659-259

整体户型做的还是比较方正,采用飞机户型的空间分布,减少走道带来的空间浪费。

这一排的边套估计还会有一定抗性,就看价格给的是否有吸引力。

再把目光聚集到项目周边。

长宁,总是和上海市区、和国际范绑定在一起。

也是诸多老上海人心中,最宜居的地段之一。不过由于总体的开发时间较早,不可避免的会出现老破小扎堆的情况。

但倒也也不必因此“避雷”,其实周边的城市环境其实倒也还好。

得益于长宁区有钱,这些老破小的日常维护没有落下,不至于出现市区项目常出现的“出门叙利亚”的问题。

编辑

青溪雲邸售楼处电话:400-9659-259

更得益于旁边大规模租赁公寓项目的建成,城市界面有了明显的焕新。等项目交付时,应该已形成了不错的居住氛围。

最后聊一下配套。

项目距离最近的2号线北新泾站,直线大约200米。实际步行大约在5分钟左右,日常出行还是比较方便。

编辑

青溪雲邸售楼处电话:400-9659-259

商业方面也是较为完善的。2号线北新泾站拥有商业体宜嘉坊,项目步行约700米可至百联西郊购物中心。

编辑

青溪雲邸售楼处电话:400-9659-259

医疗方面,项目直线向南约600米,就有三级乙等医院:上海同仁医院。周边还有一些小医院和一医疗服务中心作为补充。

对于日常生活来说,这些配套已经足够使用。

03

产业导入下

北新泾发展可期

我们再来看一下北新泾板块的发展。

目前在网络上,也有将该项目归类在仙霞的。

严格来说,北新泾板块和仙霞板块之间,是存在着不小的差距。

如果单论距离市中心的距离,仙霞确实更胜一筹。但如果考虑未来的发展潜力,那老破小扎堆的仙霞,说白了也就是个自住板块,实际上并没有北新泾的上限高。

而项目所在地块,虽然距离正经的北新泾还有一点点距离,但更不应该被划分去仙霞。

编辑

青溪雲邸售楼处电话:400-9659-259

这点从上一轮楼市的涨幅就能窥见一二。同样是老破小,北新泾的房子能上涨大约35%,而仙霞板块只有25%。

并且,在距离北新泾一站路的凌空SOHO办公基地的发展,这里已经成为了西长宁的发展爆点。

目前,园区已吸引超3千家企业入驻,集聚了联合利华、德国博世等一批国内外知名企业总部,以及爱立信、史泰博、携程网等知名信息服务业企业。

再加上长宁虹桥本身发展陷入调整,大量的办公需求沿着二号线向西侧转移,小行家个人还是很看好项目未来的前景。

青溪雲邸售楼处电话:400-9659-259【售楼中心热线】营销中心热线400-9659-259售楼处地址400-9659-259楼盘项目全面介绍,本电话为开发商提供线上预约售楼电话,楼盘项目全面介绍(包含楼盘简介,均价,房价,现房,期房,别墅,叠墅,大平层,价格,楼盘地址,户型图,交通规划,备案价,备案名,项目配套,样板间,开盘时间,认筹时间,楼盘详情,官方售楼处电话400-8818-994,最新消息,最新详情,周边配套,一房一价,最新进展等详情咨询)楼盘详情丨价格丨更多优惠丨机不可失丨欢迎致电丨诚邀品鉴!售楼处位置丨特价房丨工抵房丨剩余房源丨户型图丨最新消息丨免责声明:将文章内容综合来源于网络、只作分享,版权归原作者所有!!如有侵权,请联系我们,我们第一时间处理如有问题欢迎来电咨询,专业一对一热情服务,让您用专业眼光去买房

全部

相关资讯

报名成功
稍后会有专业的置业顾问联系您
返回楼盘

频道导航

返回首页

看房小程序

APP下载

电话拨通后,请您手动拨打分机号

确定拨打电话

电话号码:

分机号:(可能需要拨分机号)