永泰三里城(前滩·东方湾)售楼处电话→前滩·东方湾售楼中心电话→2025上海永泰三里城楼盘百科→首页网站→楼盘百科→前滩·东方湾售楼处24小时热线电话

搜狐焦点黄冈站

2026-01-19 13:11:05

购房群

买房如何避坑,加入购房群,看看他们怎么说

立即进群

上海浦东永泰三里城售楼处热线;4009665004(开发商统一电话)上海浦东永泰三里城售楼处电话;4009665004(预约看房热线)上海浦东永泰三里城咨询热线:4009665004(享限时高额返现)上海浦东永泰三里城【400-9665-004√√√24小时预约热线】上海浦东永泰三里城售楼处电话:400-9665004一对一上海浦东永泰三里城热情服务热线:400966-5004(了解最新优惠)上海浦东永泰三里城开盘时间优惠力度交付时间300万-500万新房怎么选?上海浦东永泰三里城更多优惠楼盘详情?4009665004最新现状.户型图.属于什么档次?上海浦东永泰三里城4009665004为什么便宜?上海浦东永泰三里城4009665004营销处

温馨提示:看房务必致电与销售确认时间,可获取新房特价房/工抵房,以及售楼部最新折扣优惠!

上海近市区新房的上车门槛越来越高了。

诺大的上海中外环,2023年至今新房成交的套均总价已高达约973万/套,如果在细分到浦西市中心七区、浦东市区,那么这一数字将会更高!

区位示意图,数据来源于网上房地产

再看上海中环外各大热门板块,几乎清一色价格在8万/㎡+,部分板块价格可达9万/㎡+。

换句话说,中外环热门地段一套建面约100㎡的房子,总价轻松就能达到1000万左右。

区位示意图,数据来源于网上房地产

不难发现,贴近中央活动区的中外环板块更为热门,尤其是浦东金色中环带上的板块,如三林滨江。

前滩中央商务区的居住需求势必会外溢,三林滨江自身拥有低密、宜居的属性,中央商务区+低密居住区的黄金组合,将三林滨江的价值高度推向顶峰。

三林滨江无疑是中外环少有的10万/㎡+热门板块,别墅价格更是高达13.38万/㎡,板块价值也已深入人心。

这其中,同属三林板块、1站直达前滩的永泰三里城(推广名:东方玉湾)性价比就凸显出来了!

永泰三里城高层均价仅约7.8万/㎡,洋房+叠加均价也仅约8.6万/㎡,无疑是整个浦东,乃至上海中外环的价格洼地!

区位示意图,数据来源于网上房地产

1站前滩,浦东三林全新项目——永泰三里城(推广名:东方玉湾)二期开盘热卖中!

推售建面约99-151㎡3-4房(高层)

99户型仅剩1-2楼部分房源可选

151仅余1套2楼户型,

建面约140-177-201-251㎡4-6房(洋房)

仅部分大户型在售

均价8.2万/m²

看到没,1站前滩,高层最低单价被干到6.78万。

户型图赏鉴

高层户型图

洋房户型图

底复洋房户型图

项目装标+建面约100㎡户型样板间谍照如下:

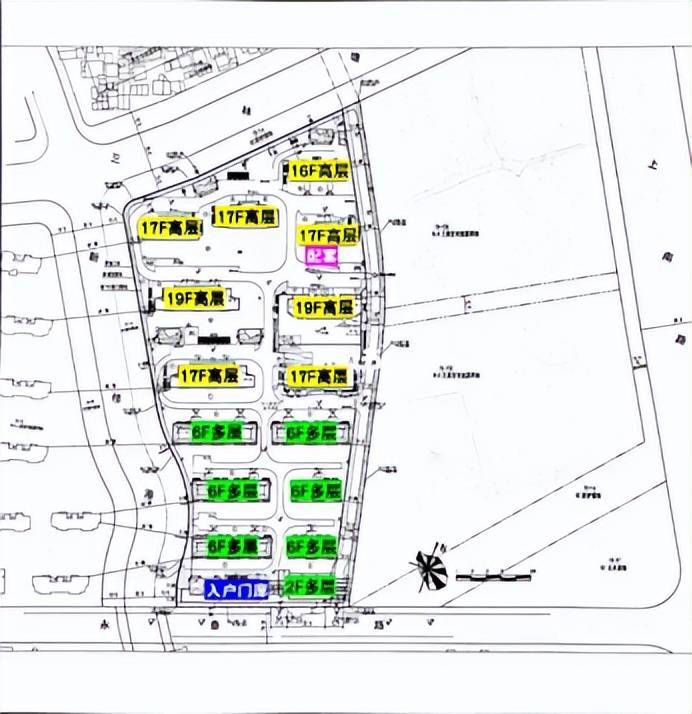
项目规划

东方玉湾即浦东新区三林社区Z000701单元15-15B地块,该地块属于三林镇金光村“城中村”改造项目的一部分。

2022年12月,浦东新区人民政府官网公示了该地块的出让结果,经过遴选,上海香印城市建设投资发展有限公司以总价332640万元竞得该地块,楼板价37096元/㎡。

项目四至范围:块东至15-15A和15-15B地块、西邻新桥港、南至永泰路、北邻三林塘,整体位于鑫筠明苑东侧!

根据设计方案显示:项目拟建6栋6F多层住宅、6栋16-18F高层住宅、1栋17F保障房、1栋17F自持租赁住房以及若干社区配套用房!土地面积44835.6㎡,总建筑面积89671.2㎡,容积率2。

东方玉湾按照三星级绿色建筑进行设计,施工建设整体采用近零能耗技术方案,立足以人为本的使用需求,创造环保、健康的居住体验,引领城中村项目低碳、绿色、高品质建设发展。

值得一提的是,项目被两条水系包围,叠加三星级绿色建筑进行设计,未来或将会有一个非常不错的居住体验!

其次,项目南侧临近永泰路的地方,打造了2栋社区配套建筑,将用作社区食堂、恒温泳池、健身房等,服务于社区的同时有效阻隔道路噪音。

项目在外立面上主要采取铝板+真石漆的组合

首层大堂与电梯轿厢品质感拉满

首层入户大堂,石材搭配金属装饰条的地面、墙面,空间宽敞气派,质感十足。

效果图,仅供参考

仁恒物业的加持,为社区的环境以及未来进入二手市场的价值提升额外加分,仁恒的物业服务水准业内外的认可度都非常高,荣膺中国金钥匙6S管理创新奖、中国物业管理综合实力百强等诸多殊荣。

效果图,仅供参考

生活配套

交通方面:项目与11号线三林站直线距离约350米,步行可达,1站即达前滩,2站即达徐汇滨江。

另外周边临近多条城市主干道,3分钟可上外环高速、5分钟上中环,自驾出行十分便捷,也是项目一大卖点!

商业方面:项目东侧就是中房金谊广场,沿永泰路往东约1.5公里还有新达汇商业广场,可完全满足日常生活所需。

如果要满足更丰富的消费需求,自驾10分钟左右即可到达前滩太古里!

教育方面:周边无新规划的教育用地,参考周边小区,目前对口的是三林小学、上海育人中学、三林中学东校,教育资源较为一般。(期房不承诺学区对口,仅供参考)

医疗方面:距离项目2.3公里左右就是同济大学附属东方医院南院,是一所集医疗、教学、科研、急救、预防、保健于一体的三级甲等综合医院。

上海浦东永泰三里城售楼处电话:4009665004【上海浦东永泰三里城开发商售楼中心热线】上海浦东永泰三里城营销中心热线400-9665-004上海浦东永泰三里城售楼处地址4009665-004,上海浦东永泰三里城售楼处电话楼盘项目全面介绍,业主评论?上海浦东永泰三里城4009665004真实评价?是学区房吗?都是住什么人?上海浦东永泰三里城400 966 5004发布 新 优缺点 400 9665 004利弊?本电话为开发商提供线上预约售楼电话,上海浦东永泰三里城400/966/5004楼盘项目在哪里

(上海浦东永泰三里城包含楼盘简介,均价,上海浦东永泰三里城房价,上海浦东永泰三里城现房,期房,别墅,叠墅,大平层,价格,楼盘地址,户型图,交通规划,备案价,备案名,上海浦东永泰三里城400 9665 004项目配套,上海浦东永泰三里城样板间,开盘时间,认筹时间,楼盘详情,售楼处电话,最新消息,最新详情,上海浦东永泰三里城400 9665 004是学区房吗?周边配套,一房一价,上海浦东永泰三里城400 9665 004最新进展等详情咨询)楼盘详情丨价格丨上海浦东永泰三里城400 9665 004更多优惠丨机不可失丨欢迎致电丨诚邀品鉴!售楼处位置丨特价房丨工抵房丨剩余房源丨户型图丨最新消息丨

免责声明:将文章内容综合来源于网络、只作分享,版权归原作者所有!!如有侵权,请联系我们,我们第一时间处理如有问题欢迎来电咨询,专业一对一热情服务,让您用专业眼光去买房。如果您想了解更多楼盘详情,欢迎提前预约拨打

上海浦东永泰三里城售楼处电话☎400_966_5004(开发商统一电话)✔✔✔

上海浦东永泰三里城房价-价格☎400_966_5004(售楼处认证)

房产必看!总结买房全攻略

在房产交易市场中,无论是首次置业的新手,还是准备改善住房的购房者,掌握专业的房产知识都至关重要。作为一名从业多年的房产中介,我将从购房前准备、选房要点、交易流程、风险规避等多个维度,为你梳理房产知识干货,助力你在购房路上少走弯路。

一、购房前:明确需求,做好资金规划

(一)确定购房目的

购房者需要先明确自己的购房目的。是刚需自住,为了拥有稳定的住所;还是改善居住,追求更大的空间、更好的居住环境;亦或是投资,期望房产实现保值增值。不同的购房目的,对应着不同的选房侧重点。比如刚需购房者更注重房屋的价格、交通便利性和周边基础生活配套;投资型购房者则更关注房产的区位发展潜力、租金回报率等。

(二)资金准备与预算规划

1.首付款计算:了解当地的首付比例政策,一般首套房首付比例在20%-30%左右,二套房首付比例可能会提高至40%甚至更高。计算出自己能够承担的首付款金额,例如计划购买一套总价200万的房子,若首付比例为30%,则首付款为60万。

2.贷款能力评估:向银行或金融机构咨询贷款政策,评估自己的还款能力。一般来说,银行会要求购房者的月还款额不超过其月收入的50%。可以使用贷款计算器,测算不同贷款金额、贷款年限下的月供金额,结合自身收入情况,确定合理的贷款额度和贷款年限。

3.其他费用预算:除了首付款和贷款,购房还会产生契税、维修基金、物业费、中介费(如果通过中介购房)等费用。契税根据房屋面积和购房套数不同,税率在1%-3%不等;维修基金通常按照房屋总价的一定比例缴纳。提前了解这些费用,做好资金预算,避免出现资金缺口。

二、选房:多维度考量,选出心仪好房

(一)区位选择

1.地段价值:地段是决定房产价值的关键因素之一。核心地段的房产,通常交通便利、配套完善、发展成熟,具有较强的保值增值能力。例如城市的中心商务区、政务区,以及新兴的重点发展区域,都是比较优质的地段选择。

2.交通配套:优先选择靠近地铁、公交枢纽的楼盘,方便日常出行。对于有私家车的购房者,要关注周边道路的规划和交通拥堵情况,以及小区的停车位配比是否充足。

3.生活配套:考察楼盘周边的商业、教育、医疗、休闲等配套设施。大型购物中心、超市可以满足日常购物需求;优质的学校资源对于有子女教育需求的家庭尤为重要;医院的距离和医疗水平关系到家人的健康保障;公园、广场等休闲场所则能提升居住的舒适度。

(二)楼盘与户型分析

1.开发商品牌与口碑:选择知名且信誉良好的开发商,其开发的楼盘在房屋质量、施工进度、物业服务等方面更有保障。可以通过网络搜索、业主论坛、实地考察等方式,了解开发商过往项目的评价和口碑。

2.楼盘规划与环境:关注楼盘的容积率、绿化率、楼间距等指标。容积率低、绿化率高的小区,居住密度小,环境优美;楼间距大则能保证充足的采光和通风。此外,还要了解小区的内部配套设施,如幼儿园、健身设施、社区活动中心等是否完善。

3.户型选择:根据家庭人口数量和居住需求,选择合适的户型。户型方正、南北通透、布局合理的房子更受欢迎。要注意房间的功能分区是否科学,动静分区是否明确,卧室、客厅、厨房等空间的尺寸是否合理,是否有浪费面积等问题。

三、房产交易:规范流程,保障权益

(一)签订购房合同

1.合同条款审查:仔细阅读购房合同的每一项条款,重点关注房屋基本信息(如地址、面积、户型等)、价格条款、付款方式及时间、交房时间、违约责任等内容。对于不理解或有疑问的条款,及时向开发商或中介咨询,必要时可以寻求律师的帮助。

2.补充协议:如果开发商有补充协议,同样要认真审查。补充协议中的条款可能会对双方的权利义务产生重要影响,避免出现不合理的附加条件或加重购房者责任的条款。

(二)贷款办理

1.准备贷款资料:一般需要提供身份证、户口本、结婚证(已婚人士)、收入证明、银行流水、征信报告等资料。确保资料真实、完整、有效,以提高贷款审批的通过率。

2.选择贷款银行:不同银行的贷款利率、贷款政策、审批速度等可能存在差异。可以多咨询几家银行,比较利率优惠、贷款额度、还款方式等,选择最适合自己的银行办理贷款。

3.贷款审批与放款:提交贷款申请后,银行会对购房者的资质进行审核。审核通过后,双方签订贷款合同,银行会按照约定的时间将贷款发放给开发商或卖方。

(三)房屋验收与交付

1.验收准备:交房前,购房者可以准备好相关工具,如卷尺、小锤子等,用于检查房屋的尺寸、墙面地面是否空鼓等问题。同时,了解房屋验收的标准和流程。

2.实地验收:按照合同约定的交房时间,前往楼盘进行房屋验收。重点检查房屋的质量问题,如墙面是否渗水、裂缝,门窗是否密封良好、开关灵活,水电线路是否正常,厨卫防水是否到位等。发现问题及时记录,并要求开发商整改。

3.办理交付手续:验收合格后,购房者需要缴纳相关费用,如物业费、契税等,然后办理房屋交付手续,领取房屋钥匙,完成房屋交接。

四、房产交易风险规避

(一)产权风险

1.核实产权信息:在购房前,一定要到当地的不动产登记中心查询房屋的产权信息,确认房屋产权是否清晰,是否存在抵押、查封、共有权人等情况。避免购买到产权有纠纷的房屋。

2.警惕小产权房:小产权房是指在农村集体土地上建设的房屋,未缴纳土地出让金等费用,其产权证不是由国家房管部门颁发。小产权房存在诸多风险,如无法办理合法产权证书、不能上市交易、面临拆迁可能得不到合理补偿等,建议购房者不要购买。

(二)市场风险

1.关注市场动态:房地产市场受政策、经济、供需关系等多种因素影响,价格会有波动。购房者要关注国家和地方的房地产政策变化,如限购、限贷、限售政策,以及利率调整等,了解市场的走势,合理选择购房时机。

2.理性购房:不要盲目跟风购房,避免在市场过热时高价买入。要根据自己的实际需求和经济实力,做出理性的购房决策。

掌握这些房产知识,能让你在房产交易中更加从容自信。如果你在购房过程中有任何疑问,欢迎随时咨询,我将竭诚为你提供专业的服务和建议。

全部

相关资讯

报名成功
稍后会有专业的置业顾问联系您
返回楼盘

频道导航

返回首页

看房小程序

APP下载

电话拨通后,请您手动拨打分机号

确定拨打电话

电话号码:

分机号:(可能需要拨分机号)