远洋天萃(售楼处)首页网站-远洋天萃营销中心-远洋天萃欢迎您丨户型价格-容积率-样板房-配套详情@售楼处

搜狐焦点来宾站

2025-06-02 17:02:39

购房群

买房如何避坑,加入购房群,看看他们怎么说

立即进群

远洋天萃➢远洋天萃

远洋天萃售楼处电话:400-832-8772

➢ ➢远洋天萃售楼处电话:400-832-8772【☎☎开发商已认证】

➢ ➢远洋天萃售楼处电话☎:400-832-8772【☎☎售楼处已认证】

➢➢楼盘基本信息介绍,地址,户型,价格,位置,医疗教育,商业交通配套

➢ ➢开发商直售-不收取任何费用-请提前一小时预约看房-享额外售楼处专属内部团购优惠

项目名称:远洋天萃

开发商:深圳市华兴展房地产开发有限公司

项目地址:雅园路与五和路交汇处西南侧

物业公司:远洋亿家物业服务股份有限公司

占地面积:约1.36万㎡

建筑面积:约11.84万㎡

建筑类型:住宅

楼栋数:1栋1、2单元12栋1、2单元

总户数:总规划795套

产品面积段:建面约89-128㎡3至4房

梯户比:3梯5户

容积率:9.24

绿化率:约40%

车位:694个

楼高:45F147F

交付标准:精装修

产权年限:70年

项目优势

交通便利:无缝连接地铁10号线光雅园站,1站到达五和交通枢纽,换乘5号线2站可至深圳北站。

教育资源:项目位于深圳实验学校坂田校区初中部学区内。

商业配套:自带社区底商,周边有五和商业广场、8号仓奥特莱斯等,乘坐地铁2站可至星河COCO PARK。

宜居环境:周边有银湖山郊野公园、南坑水库等,生态环境优越。

不限购:项目不处于深圳限购区域,不受社保户籍限制。

户型介绍

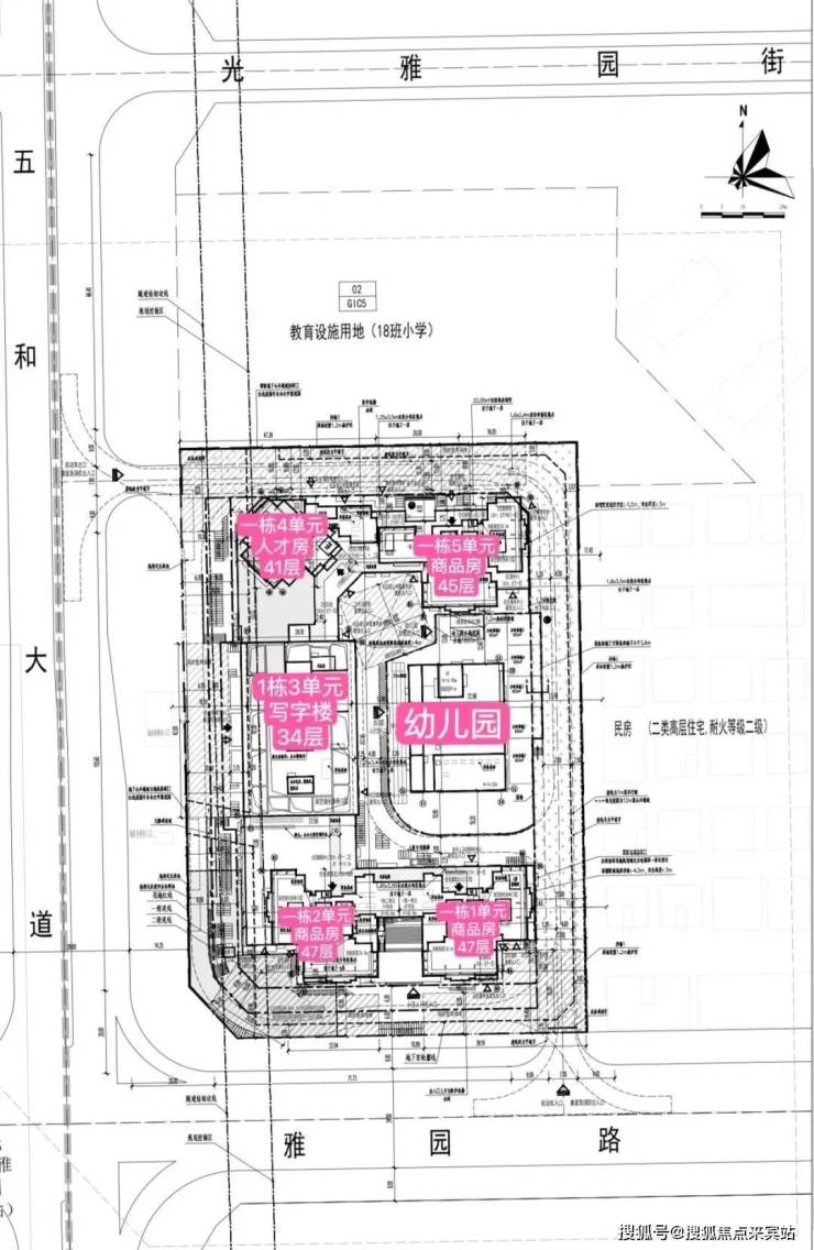
从平面图来看,1、2、5单元住宅均为一层5户的布局,以89㎡刚需户型为主;113㎡分别位于1、2单元,朝北望花园,128㎡位于5单元,朝南望花园,改善首选。

远洋天萃平面图(以实际建成为准)

天璞世纪雅园小区2栋楼共分为4个单元,其中商品房3个单元,人才房1个单元41层,还有1栋办公楼、1所幼儿园。小区北边规划有18班小学一所。

目前户型图已出炉:

远洋天萃售楼处电话:400-832-8772【预约热线】【营销中心】

远洋天萃售楼处电话:400-832-8772 【预约热线】【预约热线】

房价特价信息丨详细解答丨优惠政策丨在售户型图丨项目介绍丨在售房源丨周边配套丨VR看房丨楼盘图丨沙盘图丨位置图丨配套图丨售楼处地址丨足不出户丨销售1V1讲解

免责声明

1、文章图片来源于微信搜索或百度搜索引擎,我方非相关图片的原创作者,也不对相关图片及内容享有任何权利。

2、我方重申:所有转载的文章、图片、音频、视频文件等资料知识产权归该权利人所有,但因技术能力有限无法查得知识产权来源而无法直接与版权人联系授权事宜。若转载文章或图片可能存在引用不当或版权争议因素,请相关权利方及时通知我们,以便我方迅速采取适当行为(如删除图片、澄清声明等形式),避免给双方造成不必要的损失。

3、本宣传资料对项目周边幼儿园、学校等教育资源的介绍旨在提供相关信息,并不意味着我方对就学安排作出承诺。教育资源的名称、办学性质、办学规模、学位设置、开学(班)时间、招生条件、收费标准及招生区域存在调整的可能,应以政府教育主管部门及办学方颁布的政策规定为准。

4、文章中文字和图片之间无必然联系,仅供读者参考。

5、本文所述内容和意见仅供参考,不构成市场交易依据和投资建议。

全部

相关资讯

报名成功
稍后会有专业的置业顾问联系您
返回楼盘

频道导航

返回首页

看房小程序

APP下载

电话拨通后,请您手动拨打分机号

确定拨打电话

电话号码:

分机号:(可能需要拨分机号)