万众瞩目!天熠东方传来最新消息
项目打造10栋6-11F洋房
建面约162/186/207/253㎡
项目展厅已经公开
预计本周末开放示范区&样板间&会所
最快本月底开盘!一起期待
打造10栋6-11F洋房产品
预计本周末开放示范区!预计本月开盘!
一、项目概况
开发商:象屿&恒泰
容积率:1.6
绿地率:≥35%
产品类型:10栋6-11F纯洋房
建筑面积段:约162-186-207-253㎡迭代人居范本
装修:精装交付
物业公司:象屿物业

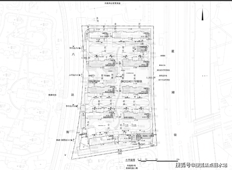
象屿恒泰·天熠东方,位于创苑路南,星湖街西,八达街东侧。是去年12月份,象屿&恒泰总价15.4亿竞得,成交楼面价28000元/㎡,溢价率0%。
项目拟建10栋6-11F洋房产品,共270套房子。产品确定为天系3.0,配置比天誉东方还要高,其中6栋楼首层全部架空,配建下沉式庭院会所。
此次象屿&恒泰再度携手强强联合,打造园区又一“天字系”力作,期待值拉满。
苏州恒泰——苏州工业园区开拓者与运营者。苏州园区直属大型国有企业,是园区商业地产、租赁住房和产业地产载体的最大持有者和运营商之一,也是金鸡湖商业地标-苏州中心建造者,见证并深度参与了苏州工业园区的开发建设。
象屿地产——综合型城市服务运营商。作为国企背景,象屿集团的全资子公司、《财富》世界500强企业。象屿地产1993年成立至今30年的成熟开发经验,已有多个样本去证明其前瞻性的市场预判和产品审美高度。
产品方面,汇聚国际大师天团。建筑团队:水石;景观团队:观己;室内团队:梁志天、琚宾、郑忠 、CCD等,各擅胜场,赋能品质人居。
根据之前规划,项目主次出入口均位于八达街路。

立面材质由米白色铝板+灰色铝板+墨绿色陶板+灰色铝板线条+银白色铝板组成,风格如下:
取型于月亮湾湖岸曲线的社区内湖,将激流瀑布收拢为一池静水,铺陈园内,回应“寻隐山水”的君子理想。
汲取东方玉雕技艺的极致代表——“鬼工球”结构灵感,将山水园林集于一体,大中涵小、小中见大,虽为人作、宛若天成,透射苏州园林造境“画中有画”的审美层次,也抵达“智者乐水、仁者乐山”的精神原乡。
内部设置晴波泳池、茶室、洽谈区、艺廊、女王空间、健身房、瑜伽室等功能,将国际生活与东方园林开放给全体业主,不仅承接现代雅士广泛的社交需求,也实现风雅诗意与隐贵生活的情感连接。
户型设计
项目总户数仅约274户,10幢8-11层的纯洋房,建筑面积段从约162㎡到251㎡,套均面积超200㎡,这一标准在苏州市场处于领先地位,直追上海、杭州等一线城市豪宅。
建面约180㎡的户型
四房两厅三卫户型,三卧室朝南+南向双套房,私密性与舒适感兼具,星级酒店式主卧套房尺度感拉满。
建面约205㎡的户型
四房两厅三卫户型,整体南向面宽达到约14.9米,四开间朝南,IMAX级采光视野,LDKG一体化派对客厅联动,不论是会客、家宴,甚至家庭音乐会、小型party等,都能满足。
建面约251㎡户型
配套
黄金中轴—星湖街
贯通金鸡湖大道,独墅湖大道/隧道、创苑路/独墅湖南隧道、 中环南线
枢纽交通—150米地铁
约150米步行直达2号线月亮湾站,一站换乘5号线
商业繁盛—举步即达
月亮湾商业圈、独墅湖邻里中心、星月坊商业街
艺术文体—高尚品味
苏州文化艺术中心、独墅湖大剧院、独墅湖图书馆、独墅湖体 育中心、金鸡湖-独墅湖帆船运动基地
文教医疗,全面高配
苏州大学附属独墅湖医院(三甲)、中科大附中独墅湖学校、独墅湖幼儿园等
美学地标—人文涵养
苏州哥特美学·独墅湖教堂、苏州美丽校区·苏大独墅湖校区、苏州宝藏浪漫地·“一棵树”露营地
如下图所示,步行可以直达独墅湖约3公里湖岸线与约18万方生态公园,居住环境和双湖如出一辙。
月亮湾实景图 图源网络
咱们直接上百度测距,到湖边直线距离还不足500米,日常湖边散步、锻炼非常方便。
除了生态环境外,项目周边配套更是一应俱全:
地铁2号线月亮湾站一站换乘8号线,6站即到金鸡湖右岸,自驾有星湖街和独墅湖隧道等园区主干道;日常休闲购物有独墅湖邻里中心;
其中,中科大附中独墅湖学校更是一个“大彩蛋”,待到润月雅筑、君和居这些千万级社区交付入学,将进一步巩固生源,迈入一梯队可期。
注:新房无学区,以教育局每年施教区划分为准