长沙保利北中心售楼处电话☎️400-159-8559转接8888(专人接听)
🌈长沙保利北中心营销中心电话:☎️400-159-8559转接8888【营销中心】
🌈温馨提示:拨打400电话,听到嘀声后,输入分机号8888即可!
➤➤➤➤VIP贵宾置业〢欢迎来电咨询
免责声明:(本文章所用图片来源于网络,如有侵权请联系本网站删除!)恭迎品鉴◆◆

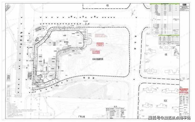
上半年深陷“商改住”舆论漩涡的保利北中心商业mall昨天在市资规局进行批前公示了!
规模约为12.5万方,填补了片区大型商业中心的空白。之前承诺的200m+超高层还会建吗?这个商业mall究竟处于一个什么水平?今天我们来简单盘一盘。
21年6月,保利拿下长沙北中心地块,销售期承诺32万方商业综合体+200米地标规划,再加上地铁口+9年制配套学校,直接登顶2021-2023年长沙楼市成交“双冠王”。
直到25年上半年,商业地块迟迟尚未动工,业主发现开发商疑似缩减商业体量、谋划“商改住”!
于是业主集体维权,同期开福区成立专项工作专班推进问题解决,8月,开发商书面承诺25年12月30日前动工,29年6月30日前完工。12月17日,商业mall进行公示。
▇ 商业mall指标
虽然各种宣传都是商业mall规模是12w方,但要说明的是商业计容部分/租赁面积只有8w方(地库部分4w方)。
从建筑密度指标来看,D地块总建筑密度为50%,商业部分就用了29%,剩下21%,一般规划住宅用地的的建筑密度就是22%,这里好像对上了?大概率,D地块剩下的大概率也会是“商改住”的住宅了。
但看指标表D地块总计容也就仅24w方,与之前宣传的32w方之间还有8w的差值,这部分还会建设超高层吗?
考虑现阶段长沙超高层的空置率与租金,开福北的产业基础,可以说从投资算账的逻辑来说,超高层大概率不会有了,更大可能是这8w方会移去对面的E地块也作为住宅!

保利北商业mall可能是后续整个“商改住”进程中仅有的集中商业了!
▇ 商业mall的定位
商业的定位和档次与其规模体量息息相关,我们可以看一下长沙不同其他类型的商业体量(都按商业计容面积/租赁面积统计):

基本上可以看出来,北中心的商业mall也就是一个小号的“天街”,虽然与承诺的32w方商业综合体相距甚远,但满足日常的商业需求还是足够了。

从鸟瞰图可以看出来,商业mall与龙湖天街、招商花园城采用了类似L型布局,“单次”的商业动线模式(这样的好处就是客户能走向每个铺位,提升租金),并与地铁口进行接驳。
总共做了4层地上+4层地下室,4层地下室中有2层也是商业,在沿芙蓉北路一段做了双首层设计,吸引地上地下的人流,类似杭州滨江的来福士。

从主入口、外立面来效果看,大面积的玻璃幕墙+铝板+石材,整体档次我觉得是优于长沙已开业的这几个龙湖天街的,外立面的进退关系与造型做的更丰富;


从已公布的业态来说,有2000㎡的精品超市(有点小)、1430座巨幕影院、8000㎡餐饮集群,中规中矩。
其实商业项目的成功与否,主要看品牌的招商与商业的运营,保利有自己专门的保利商管,各方面资源都很丰富,打造一个精品商业mall,对保利还是有信心的!
再看一下其他公布的效果图。



长沙保利北中心售楼处电话☎️400-159-8559转接8888(专人接听)
🌈长沙保利北中心营销中心电话:☎️400-159-8559转接8888【营销中心】
🌈温馨提示:拨打400电话,听到嘀声后,输入分机号8888即可!
特别说明:
1.本文为要约邀请,不作为要约或承诺;相关宣传内容不排除因政府相关规划、规定及出卖人分期规划、未能控制等原因而发生变化;
2.本文部分图片来自于网络,如涉及版权使用,请联系删除;文本部分图片仅作为推广示意使用,非交付标准,最终以实际交付现状为准;
3.本宣传资料对项目周边学校等教育资源的介绍旨在提供相关信息,并不意味着本公司对就学安排作出承诺。教育资源的名称、办学性质、办学规模、学位设置、开学(班)时间、招生条件、收费标准及招生区域存在调整的可能,应以政府教育主管部门及办学方颁布的政策规定为准;
4.本资料对项目或产品的介绍,旨在提供相关信息,不意味着本公司对此作出了承诺,买卖双方的权利义务以《商品房买卖合同》及附件等协议为准;
5.宣传方保留对宣传资料修改和解释的权利;