项目名称:南通市通州区西亭镇工业综合体(东区、西区)地块拆迁项目
中标(成交)信息
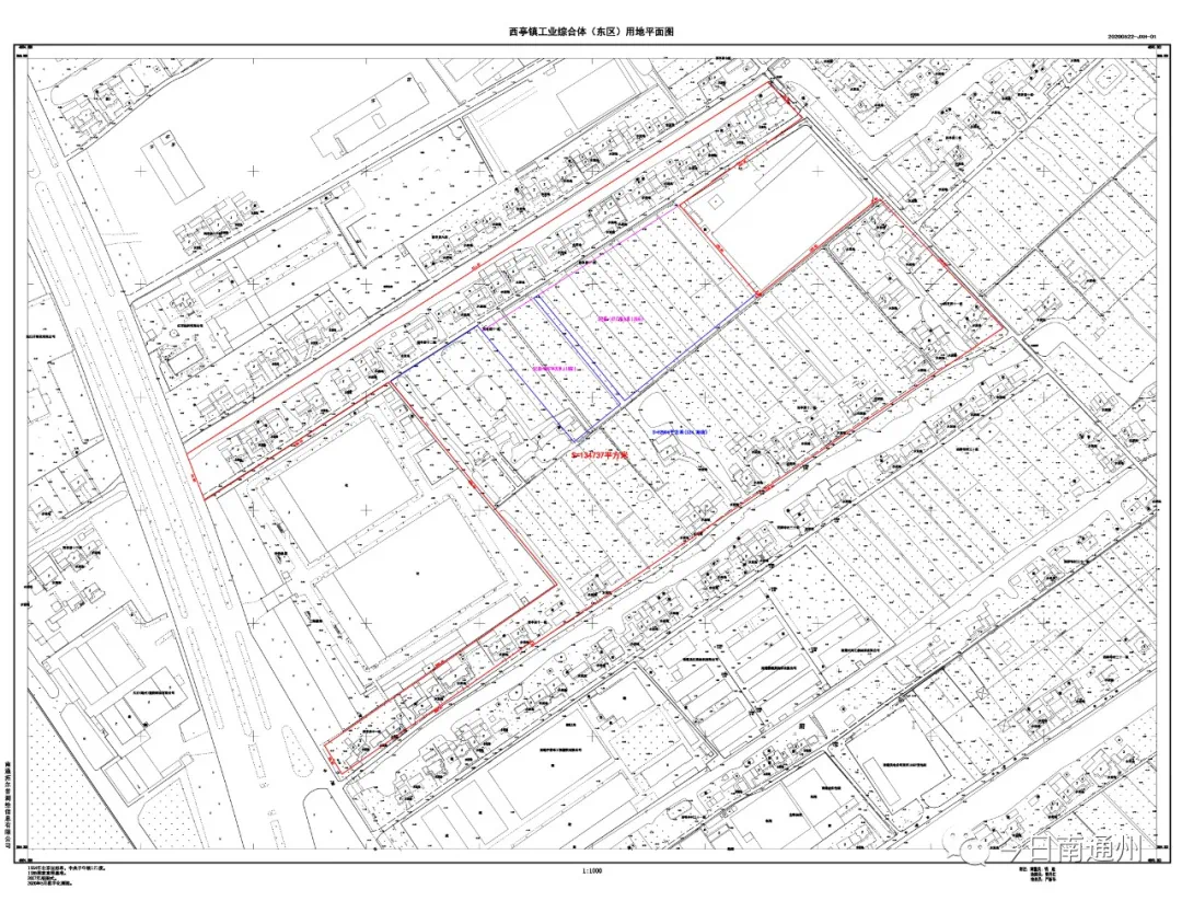
一标段(东区):
中标供应商名称:南通换新房屋征收服务有限公司
中标供应商地址:南通市通州区金沙街道朝阳公寓15号营业房
中标(成交)金额:壹拾元伍角捌分每平方米(10.58元/㎡),总价约15.65万元,最终结算按测绘实测面积
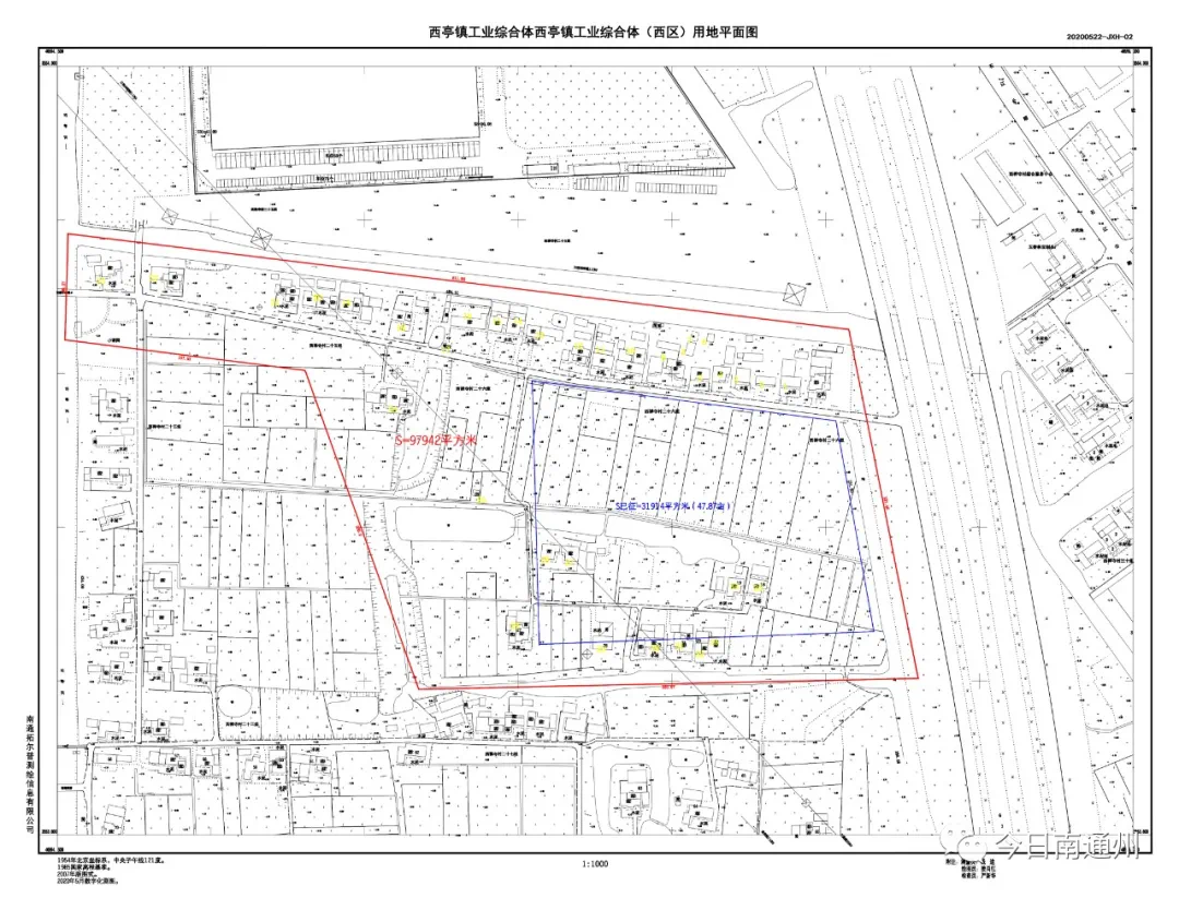
二标段(西区):
中标供应商名称:南通捷邦房屋征收服务有限公司
中标供应商地址:南通市通州区金沙镇新金路(虹南社区居委会内)
中标(成交)金额:壹拾壹元贰角每平方米(11.2元/㎡),总价约7.84万元,最终结算按测绘实测面积
服务范围:一标段(东区):西亭镇西亭社区11组、12组,共涉及居民74户,约14800平方米;二标段(西区):西亭镇西禅寺村26组,共涉及居民35户,约7000平方米(最终结算按测绘实测面积计),共贰个标段。(详见红线图)
服务时间:60日历天。2020年9月开始组织实施,2020年11月征迁和拆除结束。



来源:市公共资源交易网