深圳龙岗【远洋天萃世纪】✨✽✽✽✽
✅本项目暂不接受临时到访,过来参观样板房请记得提前来电预 约!
✅为您安排楼盘现场销售全程接待并讲解,给您更贴心的看房体 验!
✨✨深圳龙岗【远洋天萃世纪】售楼处电话:400 9616 219【售楼处电话已认证】✨✽✽✽✽
✨✨深圳龙岗【远洋天萃世纪】营销中心电话:400 9616 219【营销中心电话已认 证】✨✽✽✽
✨✨深圳龙岗【远洋天萃世纪】开发商电话:400 9616 219【开发商电话已认证】 ✨✽✽✽✽
✨✨深圳龙岗【远洋天萃世纪】最新电话:400 9616 219【最新电话已认证】 ✨✽✽✽✽
一、基础信息
开发商
:远洋集团(TOP30房企)
物业类型
:住宅+商业综合体
占地面积
:约5.2万㎡ | 建筑面积:约24.8万㎡
容积率
:3.5 | 绿化率:30%
交付标准
:精装交付(可选国际/轻奢装标)
物业公司
:远洋服务(一级资质)
产权年限
:70年(住宅)
二、产品信息
主力户型
:
建面78㎡ 三房一卫(刚需神户型)
建面95㎡ 三房两卫(横厅设计)
建面125㎡ 四房两卫(改善标杆)
梯户比
:2梯5户/3梯6户(分楼栋)
层高
:2.95米(标准层)| 顶层3.2米
得房率
:75%-78%(含飘窗/阳台赠送)
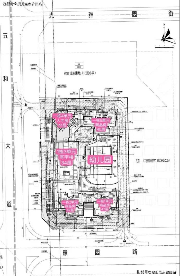
「远洋天萃」项目位于龙岗坂田板块,项目由远洋集团开发,建筑面积约为118470平米,绿化率百分之四十,规划套数商品房615套,人才房180套
项目梯户比三梯五户,车位数694个,带精装修交付,产权年限七十年,层高45-047层,容积率9.24,产品面积段为89-128平三至四房,交楼时间:26年底前精装交付

项目位于坂田街道五和社区雅园路与五和大道交会处,作为华为全球总部基地所在的坂雪岗科技城,紧挨龙华区,这里可谓是龙岗不可或缺的一部分,在2022年GDP高达2252亿元,占比龙岗全区66%,也一度占据龙岗榜首,该片区重点发展现代通信技术、新型显示、云计算、下一代互联网、高端生产性服务和高标准、高品质城市公共服务等,打造成为国际知名的通讯技术与计算机技术 和总部为主导的综合性新城区。「远洋·天萃世纪雅园」项目核心卖点之一就是距离地铁10号线的光雅园站无缝链接,3站到福田区域的孖岭,6站到岗厦北交通枢纽,对于福田上班的地铁族可谓非常友好。同时5号线横向串联蛇口、前海、西丽、布吉;电梯下楼无缝进站,3站到福田,1站到五和。
地铁:家门口就是“福田专线”——10号地铁线“光雅园站”B出口,1站到五和枢纽站,可换乘5号地铁线/深大城际,3站可到龙华深圳北站,3站到福田、4站到南山。
项目自带社区底商,满足日常购物需求;周边有五和商业广场、宝银商业广场、8号仓奥特莱斯等;乘坐地铁2站可到星河COCO PARK项目自带1所幼儿园,北侧地块还规划有1所18班制幼儿园;根据龙岗区教育局的学区划分,小学学区为深圳科学高中五和实验学校小学部,距离约700米
初中学区包括深圳科学高中五和实验学校初中部、扬美实验学校初中部、云端学校初中部、深圳实验学校坂田校区初中部等。(具体入学,以当年区教育公示为准)
生态方面:周边有4大自然生态湖泊周围,包含民治水库、民乐水库、雅宝水库、南坑水库。不仅是深圳最稠密的湖区所在地,更拥有塘朗山和银湖山两大山林资源。
出门2公里就是14.3平方公里的银湖山郊野公园,还有省5号绿道加山海连城鲲鹏径,五园连通串联梅林山、笔架山、莲花山、中心公园。

项目户型介绍:
远洋天萃由4栋住宅和1栋办公楼组成,1栋1、2单元为47层住宅, 5单元为45层住宅,共约615套住宅(含50套回迁房)。4单元为41层人才房,共180套人才房,3单元为34层写字楼,2栋为3层幼儿园。
1、2、5单元住宅均为3梯5户,以89㎡刚需户型为主。
1栋二单元89㎡朝西,估计会受到地铁和邻路噪音的影响。
113㎡分别位于1、2单元,朝北望花园,比较安静。
128㎡位于5单元,朝南望花园,景观和视野更好,适合改善。
温馨提示:过来营销中心参观样板间请记得提前拨打售楼处400热线预约,感谢您的配合!
89㎡3房2卫,A1户型,竖厅,客厅开间3.5米,5.9米长的大阳台,主卧双面飘窗,次卧双面转角采光,阳台朝向:西向、东向、南向。

89㎡3房2卫,A2户型,传统竖厅,客厅开间3.5米,5.9米长大阳台,次卧双面转角采光,阳台朝向:西向、东向、南向。

110㎡4房2卫,竖厅南北通透格局,客厅开间4.2米,次卧出6.5米长的大阳台,主卧大套间设计,全屋9处飘窗,阳台主朝北向。

128㎡4房2卫,横厅南北通透,客餐厅开间6.5米,进门户玄关,客厅连接次卧出6.1米长的大阳台,主卧大套间设计,全屋8处飘窗,阳台主朝南向。

项目配套齐全,学区范围包括深实验坂田,科高五和学校,周边商业临近八号线奥特莱斯,星河cocopark,交通便利,地铁口物业,出行福田十分便利。
远洋天萃适合预算在450万以上,居住2-4口人,在福田中心区或者坂田上班的刚需型群体。
非常适合福田或者坂田(华为)上班人群,10号线刚好最适合通勤福田和坂田,四百多万有个适合通勤的三房,听起来好像并不是很差,商场和学校距离也不算远,就很匹配消费降级的当下,但是项目密度高和小区占地小,注定做不出高品质物业。
另外地铁口物业在开价不高的情况下,下行空间相对有限,不是标杆产品,不用有什么升值预期,也绝不会强者恒强,就当为了自住归宿感买单!
深圳龙岗【远洋天萃世纪】
✨✨深圳龙岗【远洋天萃世纪】售楼处电话:400 9616 219【售楼处电话已认证】✨✽✽✽✽
✨✨深圳龙岗【远洋天萃世纪】营销中心电话:400 9616 219【营销中心电话已认 证】✨✽✽✽
✨✨深圳龙岗【远洋天萃世纪】开发商电话:400 9616 219【开发商电话已认证】 ✨✽✽✽✽
✨✨深圳龙岗【远洋天萃世纪】最新电话:400 9616 219【最新电话已认证】 ✨✽✽✽✽
免责声明:部分信息来源于网络,如果侵权,请联系及时删除
本宣传资料不构成邀约邀请,对周边、政府规划、商业配套、教育资源、投资前景等数据和图文仅为提供相关信息,该信息以政府最终批文为准,开发商不对此作任何承诺。买卖双方的权利义务以双方签订的买卖合同约定及附件、实际交付为准,本公司保留对宣传资料修改的权利,敬请留意最新资料。联系号码:400 9616 219