武汉招商城建未来中心售楼处电话☎️400-116-7720转接777(专人接听)
武汉招商城建未来中心营销中心电话:☎️400-116-7720转777【营销中心】
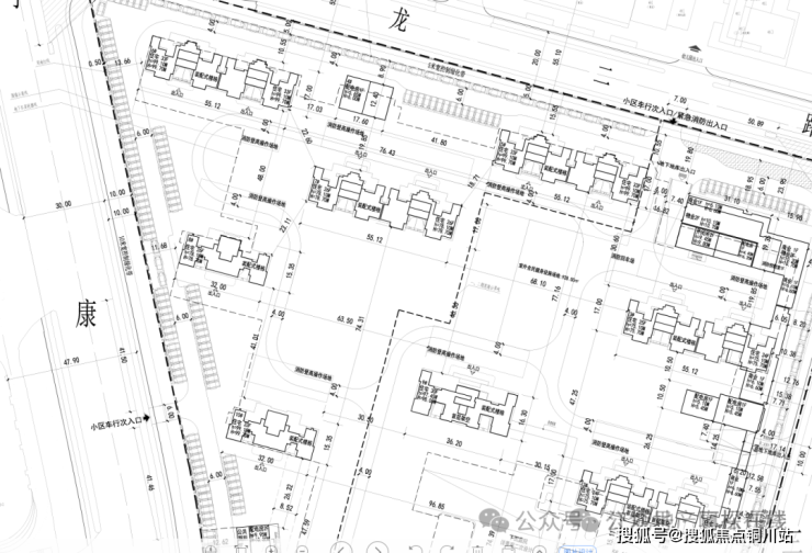
规划显示,该项目共包含了10栋24-33层的高层住宅,其中1、9、11号楼均为30层,2号楼共24层,3号楼共25层,7、8号楼均为26层,5、6、10号楼均为33层。

规划数据显示,该地块占地约5.3万方,总建面约21.6万方,计容建面约12.5万方,住宅约12.2万方,共约966套房源,户均建面约126平,整体应该是大户型为主,定位偏改善。
该地块配建了约3000多平的商业,另外有约5.9万方的不计容建面,包含约4万方的休闲平台,约1万方的阳台,另外还有公共会客厅、架空层等。
此盘优化面积也是相当惊人的,休闲平台、阳台之外应该还有还有飘窗等不算建筑面积的优化面积,户型图出来应该会很震撼。
这里的约4万方不计容休闲平台,大概率就是跟万科东合映象户型图中的公共平台类似,是全优化可封闭空间。

该地块整体容积率约2.34,共规划了约1069个车位,其中地上车位约213个,地下车位约856个。整体车位配比约1:1.06。但如果不计算地面车位的话,地下车位配比仅约1:0.88。
值得一提的是,该项目规划大量地面车位,从平面图来看,地面车位分布在地块东侧、北侧和西侧外围。

如今人车分流早已是标配,但今年以来很多小区都出现了地面车位这一指标,此前不少项目售楼部的说法都是地面车位仅为虚拟车位,实际后期并不会真的使用,验收通过之后,还是只会使用地下车位。
该项目作为四代元素丰富的新四代项目,理论上来说不太会出现地面大量车位的现象,但具体后期地面车位如何建设,还是要以售楼部释放为准。
另外根据规划文件显示,本项目需要配建的社区卫生服务、养老服务、社区管理用房均为A、B、C、D四个地块整体测算,集中配建在D地块,配建的幼儿园分布在B、C地块。本次报规的A地块没有配建幼儿园。
该项目分为两期开发,但两期会打通管理,地库也是连通的。

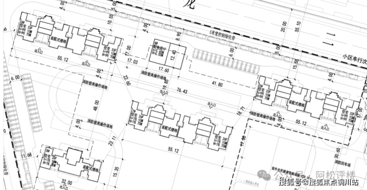
从平面图来看,该地块很完整,楼栋呈错落式分布,基本都是西南朝向。

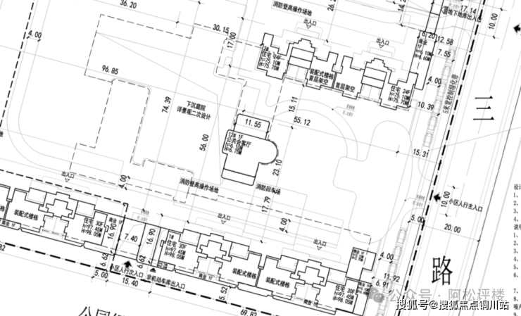
放大平面图来看,项目规划了下沉式庭院、公共会客厅等四代住宅元素,小区主入口位于地块东侧神龙三路上。

楼栋都是板楼结构,大概率将是2梯2户的结构设计。

效果图显示,该项目将是全封闭阳台交付。据“武汉阿松”所知,该项目将打造成与万科东合映象同类型的新四代产品,优化空间会很丰富,产品还是值得期待的。

2020年12月15日,招商+武汉城建集团合作拿下经开神龙汽车一厂P(2020)152号地块,总体量约75万方,住宅体量约48万方,总价约57.4亿,楼面价约7643.6元/平。这是该项目的主体地块,后续还拿下了其他地块。
P(2020)152号地块由多个小地块组成,本次报规的就是其中的A地块。

不过需要注意的是,该项目此前有部分地块进行过商改住,其中就涉及到152号地块中的H地块,原本是规划的商务地块,改住宅后在今年重新编号为P(2025)006号地块重新挂牌出让,依旧是被招商&武汉城建集团联合拿下。

2020年时152号地块的主要拿地要求如下:(注意:因为涉及到部分地块就进行过商改住,以下拿地条件仅供参考)
1、经武汉经济技术开发区管委会批准:引入1家及以上控股股东为世界500强(以2020年《财富》杂志公布的企业为准)且经“一委一行两会”颁发经营许可证的全国性保险公司旗下的华中区域总部入驻。