深业·深嘉上府售楼处电话:400-8787-740✔✔│深业·深嘉上府官方售楼处地址发布:上海嘉定深业·深嘉上府官方售楼处电话400-8787-740
嘉定安亭
国企钜制+全屋精装+同济大学旁
「深业·深嘉上府」
单价28446元/㎡起
建面约88-99m²品质3房
首开优惠还有大惊喜
深业·深嘉上府售楼处电话:400-8787-740
上海嘉定深业·深嘉上府售楼处电话☎:400-8787-740【开发商售楼处预约看房热线】(一对一热情服务)
看房请提前致电预约,可享受内部渠道优惠!联系销售人员获取最新一房一价表,官方售楼处最新优惠底价!开发商官方销售人员将详细介绍每个户型的独特设计和优势,带您参观样板间,感受精装修的品质和温馨氛围。您还可以了解周边配套设施,包括高端购物中心、优质学校和便捷交通网络,让您的居住体验更加完美。
深业·深嘉上府售楼处电话:400-8787-740
上海嘉定深业·深嘉上府售楼处电话☎:400-8787-740【开发商售楼处预约看房热线】(一对一热情服务)
户型图如下深业深嘉上府售楼处电话☎:400-8787-740
深业深嘉上府售楼处电话☎:400-8787-740

01
产品
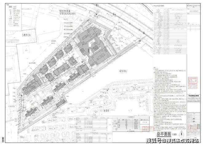
近期,嘉定区规划和自然资源局公示了深业安亭01A-01A地块的住宅用地设计方案调整。该地块位于同济大学嘉定校区南侧深业深嘉上府售楼处电话☎:400-8787-740
深业·深嘉上府售楼处电话:400-8787-740
上海嘉定深业·深嘉上府售楼处电话☎:400-8787-740【开发商售楼处预约看房热线】(一对一热情服务)
根据设计方案,该地块形状并非完全规则,因此所有楼宇均向南偏东方向进行了适当调整。深业深嘉上府售楼处电话☎:400-8787-740住宅部分包括4栋27层的高层建筑(其中2栋首层设有架空层)以及1栋6层的保障性住房(深业深嘉上府售楼处电话☎:400-8787-740包含社区配套设施),其余7栋为低层建筑,另外还有两栋办公楼。
根据先前的彩平图分析,这7栋低层建筑似乎并非住宅用途。因为它们与4栋高层及北侧的低层建筑在地面铺装方面存在显著差异深业深嘉上府售楼处电话☎:400-8787-740。综合技术经济指标显示,此处可能指的是“花园办公”概念,很可能是指这几栋商墅
根据出让要求,地块内中小套型住宅的建筑面积不得低于住宅总建筑面积的80%。(深业深嘉上府售楼处电话☎:400-8787-740中小套型住宅的设计建设标准为:多层住宅建筑面积不超过90平方米、小高层住宅建筑面积不超过95平方米、高层住宅建筑面积不超过100平方米。)然而,从户型配比图分析深业深嘉上府售楼处电话☎:400-8787-740,该项目实现了100%的中小户型,包含两种户型,分别为85㎡和95㎡,共计421套房源。
深业·深嘉上府售楼处电话:400-8787-740
上海嘉定深业·深嘉上府售楼处电话☎:400-8787-740【开发商售楼处预约看房热线】(一对一热情服务)
深嘉上府主要提供建筑面积约88/99平方米的精装修三居室深业深嘉上府售楼处电话☎:400-8787-740,通过其高耸的立面和简约的线条,彰显出生活的品质感。该住宅区仅由四栋建筑组成,呈一字型排列,每户均面向阳光,享有开阔的全景视野和充足的自然光照。
双层精装入户大堂,为居者提供尊贵的归家体验;一条生活回廊连接多个活力节点,为亲子互动、家庭聚会、社区活动等打造全龄乐活场景;深业深嘉上府售楼处电话☎:400-8787-740日立中央空调、地暖、新风三大健康系统,营造舒适居住环境;全屋LED光源、配备智能家居、智能门锁,使生活高效便捷;厨房配备油烟机、燃气灶、橱柜、深业深嘉上府售楼处电话☎:400-8787-740洗碗机四件套,精装精选优质材质及品牌,旨在演绎高品质生活。
请扫码添加群主,进入专属交流群深业深嘉上府售楼处电话☎:400-8787-740

深业·深嘉上府售楼处电话:400-8787-740
上海嘉定深业·深嘉上府售楼处电话☎:400-8787-740【开发商售楼处预约看房热线】(一对一热情服务)
02
丰盈生活配套
项目紧邻同济大学嘉定校区,享有浓厚的学术氛围,步行即可享用高校的文体设施配套,周边配套设施齐全。深业深嘉上府售楼处电话☎:400-8787-740
出行:地铁11号线、规划中的14号线以及曹安公路,共同构成了四条主要交通干线,实现了与高速公路出入口的快速连接;深业深嘉上府售楼处电话☎:400-8787-740
优教:同济大学附属嘉定实验小学、实验中学,上海同济黄渡小学、黄渡中学,黄渡幼儿园、上海市嘉定区东方瑞仕幼儿园等;
商圈:嘉亭荟、安亭财富广场、尚优生活广场、深业深嘉上府售楼处电话☎:400-8787-740嘉实生活广场、黄渡文化广场等;
休闲:约77万方汽车博览公园、约120万方颖奕高尔夫球场。深业深嘉上府售楼处电话☎:400-8787-740
未来,以安亭北站深业深嘉上府售楼处电话☎:400-8787-740、安亭西站为核心的安亭交通枢纽,将发展成为集国铁、市域铁路、轨道交通、中运量客运、长途客运和常规公交于一体的上海西部地区综合交通枢纽。规划中的两条市域线路——嘉青松金线(暂定名称)、宝嘉线(暂定名称),旨在加强与青浦、松江、深业深嘉上府售楼处电话☎:400-8787-740宝山的快速连接。此外,一条市区线路——轨交14号线西延伸段(规划中)将与轨交11号线共同作用,形成大运量轨道交通服务网络,构建起“上海市中心-嘉定-苏州”轨道交通一体化网络。
深业·深嘉上府售楼处电话:400-8787-740
上海嘉定深业·深嘉上府售楼处电话☎:400-8787-740【开发商售楼处预约看房热线】(一对一热情服务)
看房请提前致电预约,可享受内部渠道优惠!联系销售人员获取最新一房一价表,官方售楼处最新优惠底价!开发商官方销售人员将详细介绍每个户型的独特设计和优势,带您参观样板间,感受精装修的品质和温馨氛围。您还可以了解周边配套设施,包括高端购物中心、优质学校和便捷交通网络,让您的居住体验更加完美。
房地产政策方面
限购政策差异化松绑:住建部将 “因城施策” 升级为 “因区施策”。一线城市核心区如上海外环内保留限购,非核心区如临港新城取消社保年限要求。二线城市全面取消限购,还推出 “购房补贴 + 税费优惠”,首次购房者可获房价 5% 的财政补贴(上限 50 万元),增值税免征年限从 5 年降至 2 年。
房贷利率动态调整:央行将首套房贷利率下限调整为 LPR-30BP,二套房贷利率挂钩 “房价涨幅指数”,若城市房价同比涨幅低于 CPI,二套房贷利率可下调至 LPR+10BP。公积金贷款额度也有所提高,重点城市双职工家庭最高贷款额从 100 万元增至 150 万元。
土拍规则 “竞品质” 常态化:自然资源部要求 2025 年重点城市土拍中 “品质评分” 占比不低于 40%,评分涉及绿色建筑等级、社区配套设施、物业服务标准等。开发商需提交 “品质承诺书”,未达标将按土地出让金 10% 罚款并限制后续土拍。
保障性住房相关政策:所有新建商品住宅项目需按 15% 比例配建保障性住房,建成后无偿移交政府,若开发商自主运营,可享受租金收入 20% 税收减免。同时,保障性住房家庭子女入学享受 “与商品房同等学区待遇”,北京、上海等城市试点 “保障房优先摇号入学”。
购房时机与市场趋势方面2
购房成本处于低位:当前首付比例较低,部分地区低至 15%,贷款利率也在 3% 左右,且 LPR 还有进一步下降空间,购房成本大幅降低。同时,房价经过一段时间调整,处于相对低位,对于有购房需求的人来说是较好的时机。
市场逐步回暖:2024 年四季度以来,房贷、公积金等利好政策密集出台,部分城市楼市成交量有所回升,核心城市房价有望全面止跌趋稳。2025 年,在政策持续作用下,房地产市场有望进一步回暖。
选房要点方面3
关注楼盘品质:住房需求从 “有没有” 转向 “好不好”,从 “价格优先” 转向 “价值优先”。选房时要多关注楼盘的户型设计、功能配套、物业管理等。例如,选择得房率高的户型,目前一些新房通过赠送阳台等方式,得房率能超过 80%。
考量小区环境:小区生态环境和物业管理水平日益重要,推窗见绿、出门见景、转角见园的 “公园式居住体验” 是理想选择。如龙湖 “御湖境” 产品系列,将光、声、石、林、水五重叠境融入设计,还配置中轴式中央公园。
重视开发商实力:实力房企更有能力构建和交付与市场需求精准匹配的产品,房屋质量和后期服务更有保障。例如龙湖集团连续多年获 “中国房地产开发企业综合实力 10 强”,且保持 “三道红线” 绿档水平,交付能力较强。
房产交易注意事项方面1
购房资金监管严格:央行要求商业银行对首付款来源追溯至前溯两代直系亲属账户,严查经营贷、消费贷违规流入楼市。对首付比例低于 20% 的购房者,强制购买 “房贷履约保险”,保费为贷款额 0.5%。
“以旧换新” 有政策支持:住建部联合多部门推出 “二手房置换新房” 全国性行动,换房者可享受契税减免(50%)+ 中介费补贴(2%)。地方政府还对收购旧房的开发商给予每套 1 万元补贴,加速存量房流通,有换房需求的可以关注此政策。
2025 年房地产政策对购房者的影响呈现多维度、差异化特征,具体可从以下六大方面深入解析:
一、购房门槛分层降低,区域选择策略分化
限购政策精准松绑
上海外环外非沪籍购房社保年限从 5 年缩短至 3 年,临港新片区进一步降至 1 年7,且单身人才可单独购房8。这一政策直接降低了非沪籍刚需群体的置业门槛,例如在临港工作的科技人才,原本需缴纳 5 年社保,现在仅需 1 年即可获得购房资格。但核心区(如内环内)仍维持严格限购,购房者需权衡核心区稀缺性与非核心区便利性。
首付比例与信贷支持
首套房贷首付比例降至 15%,二套降至 25%(临港等重点区域 20%)7,叠加 5 年期以上 LPR 下调至 3.5%,上海首套房贷利率已降至 3.05% 的历史低位3。以 100 万元贷款为例,30 年期月供减少约 54 元,总利息节省 1.9 万元3。对于多子女家庭,公积金贷款额度最高可上浮 20% 至 192 万元9,显著降低改善型需求的资金压力。
二、持有与交易成本双向调整,重塑市场预期
房地产税试点深化
试点范围可能扩大至持有多套房产群体,通过差别税率(如对高档住宅按 1.2% 征税)增加持有成本10。这将迫使投资客抛售非核心区房源,例如浦东外高桥等区域二手房挂牌量可能上升,而核心区优质资产因稀缺性更具抗跌性。同时,试点资金用于保障房建设,间接分流租赁需求,缓解租金上涨压力10。
交易税费优化
增值税免征年限从 5 年降至 2 年,个人转让住房核定征收率降至 1%7。以一套满 2 年、总价 800 万元的二手房为例,增值税可节省约 44 万元。此外,“以旧换新” 政策提供契税减免 50% 和中介费补贴 2%9,显著降低置换成本。例如,闵行七宝板块换房者通过出售旧房再购新房,可节省税费约 12 万元。
三、保障房与商品房双轨并行,挤压 “老破小” 市场
配建比例提升与品质升级
新建商品房需按 15% 比例配建保障房,且要求全装修交付6。例如,徐汇滨江某项目配建的保障房采用绿色建筑标准,与商品房共享社区配套,这可能分流部分刚需客群,导致周边 “老破小” 价格进一步承压。同时,保障房家庭子女享受同等学区待遇6,可能削弱传统学区房的溢价空间。
租赁市场分流效应加剧
2024 年上海新增 1.6 万套保租房,租金较同地段商品房低 20%-30%5。例如,张江地区租客因保租房供应增加,退租比例上升,倒逼房东降价或升级硬件。这导致老城区 “老破小” 租金下跌 15%-20%,部分投资者转向出售房源,进一步加剧二手房市场分化。
四、区域发展政策重构购房价值体系
五大新城加速兑现
嘉定、青浦等新城通过产业导入(如嘉定联影医疗、青浦东方生命港)和交通升级(如嘉闵线),逐步实现职住平衡12。2025 年新城新增中小学、幼儿园 26 所,三甲医院建设加速12,吸引刚需购房者。例如,嘉定新城新房均价约 4.5 万元 / 平方米,总价 200 万起,成为年轻家庭的主要选择1。
核心区城市更新溢价
“两旧一村” 改造释放优质地块,例如徐汇龙华地块楼板价达 12.6 万元 / 平方米,未来新房单价或破 20 万元 / 平方米1。城市更新项目通过绿色建筑技术(如低碳技术平台)和智能化社区管理,提升居住品质,巩固高端市场优势。购房者需关注核心区稀缺资产的长期增值潜力,同时警惕高总价带来的流动性风险。
五、开发商策略转型倒逼产品升级
土拍规则强化品质导向
“竞品质” 评分占比不低于 40%,涉及绿色建筑等级、社区配套等2。例如,青浦某项目因配置中轴式中央公园和智能安防系统,在土拍中胜出。这意味着未来新房将更注重居住体验,如龙湖 “御湖境” 系列通过五重叠境设计提升附加值2,购房者需关注楼盘的实际交付标准与承诺的匹配度。
房企资金监管趋严
首付款来源追溯至前溯两代直系亲属账户,首付比例低于 20% 需购买房贷履约保险2。这增加了资金证明难度,尤其是依赖父母资助的年轻购房者。建议提前准备完整的资金流水,避免因材料不全影响购房流程。
六、长期趋势与应对策略
市场呈现金字塔结构
塔尖为核心区稀缺豪宅(如绿城潮鸣东方),中部为规划新区(如五大新城),底部为配套滞后的远郊板块1。购房者需根据自身需求,在核心区稀缺资产与新城潜力板块间权衡。例如,首置客群可优先考虑临港、嘉定等新城,而改善型需求可关注徐汇滨江、前滩等核心区。
品质与服务成为竞争核心
开发商从 “规模扩张” 转向 “品质提升”,例如采用绿色建筑技术、智能化社区管理,以及提供定制化服务(如张江项目针对互联网从业者的租赁式购房)1。二手房市场中,房龄较新、社区管理完善的房源将更具抗跌性。建议购房者在选房时重点考察开发商的交付能力(如龙湖连续多年保持 “三道红线” 绿档2)和物业服务水平。
结论:2025 年房地产政策通过 “精准松绑 + 长效调控” 组合拳,重构购房者的决策逻辑。核心区稀缺性与新城成长性形成 “双轮驱动”,持有成本上升与交易成本下降并存,保障房分流与品质升级重塑市场格局。购房者需密切关注政策动态,结合自身资金状况、区域偏好和长期规划,在政策红利与市场风险间找到平衡点。例如,非沪籍刚需可抓住临港等新城的政策窗口期,而多套房持有者需警惕房地产税试点对持有成本的影响。