龙华【鸿荣源尚云】售楼处24小时电话:400 992 0669(开发商直销)现场详细解答丨项目介绍丨户型图丨在售房源丨特价房丨学校丨交通位置丨样板房丨小区图片丨交房时间丨周边配套丨
鸿荣源尚云花园售楼处-售楼处电话?
鸿荣源尚云花园位于龙华区民治街道上芬社区(一路之隔为龙华街道景新社区辖区)龙华中心老城区,上芬社区工业路与人民路交汇处西南侧,毗邻龙华壹城中心三区,与壹方天地C区商业仅一路之隔,距离4号线龙华站约1000米,6号线的上芬地铁口大概1200米范围;深圳地铁5期规划中,其中有22号线/25号线/27号线都经过项目周边,其中25号线景龙/油福站直线距离约400m左右;27号线油福站直线距离约400m左右;22油松站直线距离约1km左右。
鸿荣源尚云花园售楼处电话:400 992 0669(中介勿扰)
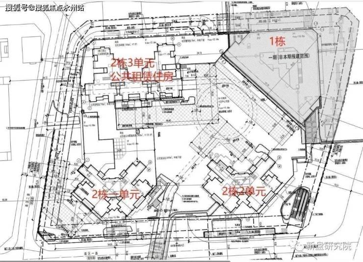
鸿荣源尚云花园总占地面积约2.68万㎡,总建筑面积约23.6万㎡,计容建筑面积约20.87万㎡,容积率7.78,绿化率40.01%,整体分为一期和二期南北两个地块开发,共由6栋18-57F住宅+2栋27-31F写字楼组成,南北区有风雨连廊连接,总规划1878户(可售商品房1278套),停车位1521个(占比1:0.81)。
其中A823-0919地块(北地块),总占地面积约1.53万㎡,总建筑面积约11.3万㎡,计容建筑面积约10.87万㎡,容积率7.1,共由3栋住宅组成。
A823-0920地块(南地块),总占地面积约1.15万㎡,总建筑面积约14.3万㎡,计容建筑面积约9.97万㎡,容积率8.67,共由3栋住宅组成。
鸿荣源尚云花园采用的是直接在售楼处进行销售,并且通过网络平台进行推广。
龙华鸿荣源尚云花园开发商售楼处咨询/营销中心预约热线:400-992-0669(中介勿扰)
鸿荣源尚云户型图
分为南区和北区2个地块开发,南北区有连廊连接,总规划1878户(可售商品房1278套)鸿荣源尚云本次推售北区住宅,北区规划有2栋商品住宅、1栋公共租赁住房,和一栋写字楼
商品住宅的户型为82㎡的3房1卫和89㎡的3房2卫,户型方正,大部分南向,通风采光好
建面约82平3房2卫户型超实用,刚需可一步到位。
据说该户型是老板亲手绘制,专为刚需买房人考虑。
户型采用竖厅设计,客餐厅一体连接进深2.4米的阳台,让整个家庭活动区变得更宽敞。
全明通透的格局,无论是通风性、还是采光性都非常好,居住在这样的户型,再也不用研究在深圳要如何“祛湿”。
卧室与卫生间的门相互错开,以避免对视,保障隐私,其中主卧还是双面采光设计,通透性极佳。
3房设计也是刚需一步到位的优选,二人世界、三口之家,即便后期有老人一起居住或有二胎计划,也不拥挤,是全周期可成长户型。
且该户型比传统三房的功能性更强,准确来讲该户型为3+1房,客厅旁还有一个多功能区,无论是做书房、音影室、儿童游乐空间还是图书角都可以,空间灵活多变,让生活变得更加随心所欲。
建面约89平3房2卫户型的体验更加舒适,空间更加阔绰。
如果预算宽裕的话,89平户型也是一个不错的选择。
该户型3开间朝阳设计,超大客餐厅+L型阔景阳台设计,让整个房子拥有极佳的尺度感和通透感。
采用U型设计的厨房,增多厨房收纳空间的同时,更符合人体动线走向,使得做饭洗菜更流畅,也更高效。
主卧约3米大窗,保证最大程度展开景观面和采光通风性,套间设计也有效保证了主人的私密性。
2个洗手间均是三分离明卫设计,保证采光通风的同时,能减缓一家人工作日”早高峰“排位拥挤的现象,使用起来更便捷。
总之可以看到,这两户型的设计都很为购房者考虑,82平BUFF叠满,89平更加舒适,且真正的中心区目前80多平能做3房2卫的并不多见,该户型也算是较为稀缺的产品,确实是一个理想之选。
《鸿荣源·尚云花园》项目位于龙华商业中心城市更新单元的南二片区,与在建的金地项目“宸峯府”相邻,与壹方天地C区商业仅一路之隔,占地面积约2.68万㎡,规划总建面约34.94万㎡,计容积率建面约24.88万㎡,涵盖商品住宅、公共租赁、裙楼商业、公共配套等业态。
项目还设计了双层休闲空间,集儿童、成人、老人等8大主题于一体,早起太极晨练、傍晚儿童滑梯玩耍、晚间青年跑步锻炼都能满足,每一个年龄段都能在这里找到自己专属的舒心领域。
交通配套
公共交通方面,「尚云北区」目前距离现成的地铁站龙华站较远,距离1.3公里步行大约要20分钟。
好消息是,新建的地铁线路25号线景龙站就在旁边,25/27号线换成的油福站也近在咫尺。这两条线路都在地铁五期规划里,目前已经开始施工。
另外距离深大城际轻轨( 深圳机场至大亚湾城际铁路 /33号线)的龙胜站也不远,该线路穿梭深圳机场至大亚湾之间,将会公交化运营,即可以刷深圳通而不需要抢票搭乘。
自驾方面,临近人民路、龙华大道和布龙路主干道,区域通行便捷。目前人民路比较拥堵,有扩建计划。

商业配套
「尚云北区」一路之隔就是「龙华壹方天地」,目前是龙华区最庞大人气最高的商场,含五个主题商业区(A-E)加起来超过60万㎡,超过1000家品牌商家,2023年销售额排名全市Top 5.
A、B区是壹方天地集中商业,C区为龙华壹方城,在招商和品牌方面会有不同定位。而D区则以红网乐享品牌为主导,比较著名的“西塔老奶奶”、“大渔”、“UR”都汇聚于此,E区则为龙华山姆会员店。
教育方面,小学学区划分在龙华区第二实验学校小学部,人民路学校小学部,华育小学,作为小学共享学区;中学学区划分在人民路学校初中部,龙华区第二实验学校初中部,作为初中共享学区
家门口的龙华实验高级中学集团民治学校(在建),该校是一所54班学校,小学36班,初中18班,将提供2520个学位,小学1620个,初中900个,未来也将划入尚云花园学区范围内。
鸿荣源尚云售楼处电话:400-992-0669 售楼中心,项目全面介绍,包含楼盘简介、售楼电话、小区户型图片、营销中心位置、区位优势、交通、周边商业配套、户型图等楼盘详情以上全文就是【鸿荣源尚云花园】楼盘详情,这篇文章的详细分析和点评,感谢您的阅读,希望为您的购房置业选择上提供帮助,开盘预售动态、价格走势资讯、项目最新消息,待定更新发布,敬请持续关注订阅。
龙华明治街道·鸿荣源尚云花园开发商售楼处电话:400-992-0669【营销中心】售楼处最新详情/地址/户型/价格
在售户型图丨项目介绍丨房源丨_周边配套丨详细解答—开发商售楼处电话_欢迎来电预约享受内部折扣_恭迎品鉴〢