五进藏院·大师园林|方直珑樾山:120-268㎡3-5房,CCD郑中设计,6.9万/㎡起清盘特惠

搜狐焦点永州站

2025-11-14 01:15:00

购房群

买房如何避坑,加入购房群,看看他们怎么说

立即进群

✨ 方直珑樾山售楼中心预约通道开启,已认证,安全无忧咨询热线 ✨

✅ 方直珑樾山售楼处丨开发商丨营销中心统一热线:400-992-0669(全程认证,无分机号)

✅ 通话自动隐藏号码,保护个人隐私,谨防非渠道诈骗

南山方直珑樾山最新价格、户型信息,配套及交付信息,楼盘详情解析!

方直珑樾山备案均价9.7万/㎡,折后单价6.9万/㎡起,总价820万可入手120㎡精装三房,性价比碾压同地段新盘。

项目位于南山核心地段,交通便利,紧邻地铁7号线深云站,坐拥塘朗山自然美景,居住环境优越。户型多样,满足不同家庭需求,且价格适中,具有较高的性价比。方直珑樾山是深圳高端居住圈的优选之一。(深圳南山方直珑樾山售楼处电话:400-992-0669)

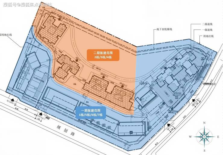
方直珑樾山,由深圳市龙廷房地产开发有限公司精心打造,坐落于南山区龙珠大道8号(深云站C出口)。项目占地面积2.13万㎡,建筑面积达11.52万㎡ ,规划4 栋高层住宅以及10户商业别墅,总户数为520户,小区容积率为3.62,绿化率30%,车位比1:1.3,能较好地满足业主停车需求,产权年限为70年,交付标准为毛坯,已是准现楼状态。

项目推售主力户型为2梯3户的120㎡三房,2梯2户200-268㎡,另有顶层复式户型 面积约300-500㎡,折后单价6.9万/㎡起。

如需了解更多详情,欢迎咨询方直珑樾山售楼处电话400-992-0669,过来我们营销中心看房提前来电预约价格还能更优惠。

方直珑樾山售楼处400免费咨询/预约电话:400-992-0669,中介勿扰

温馨提示:过来营销中心参观样板间请记得提前拨打售楼处400热线预约,感谢您的配合!

聚焦到项目本身,珑樾山的品质,也是深圳豪宅的TOP级别。

珑樾山的开发商方直集团,拥有20多年发展历史,深耕大湾区,专注产品,在行业内颇有口碑。

关于方直的实力有多强,一件事情就能直接体现:方直拥有20多年的园林筑造经验,被称为“园林专家”,是万科、中海等多家房企的园林战略供应商。

这样一个方直集团,对珑樾山这样一块深圳中心的半山豪宅土地,倾注了无以言表的匠心。

你能想象吗?珑樾山约11.5万平的建筑体量,花费的设计费是:5000万,折合高达435元/平!

项目建筑外立面为玻璃幕墙+铝板打造,这种规格一般只会出现在顶级豪宅上,比如华侨城天鹅堡二期、三期,深圳湾红树西岸。

历史验证,玻璃幕墙+铝板打造的建筑立面,不仅拥有璨烂夺目的美感、代表一种国际化品味,还能让阳光、空气更好的进入室内,并且历久弥新,赋予项目更出色的保值增值力。(深圳南山方直珑樾山售楼处电话:400-992-0669)

因为地处半山,珑樾山利用这种稀缺的天然优势,打造了一个台地式立体园林。

项目特特邀世界豪宅专家CCD郑中设计执笔,秉持“引龙下山 引水入园”的理念,借周边自然景观,通过园林景观和层叠水系,造就与自然平等相处的“流水森林”,呈现山居生活的悠然从容。

园内以五进礼序,形成追寻山涧、空山新雨、松林跌瀑、卧桥清溪、玉台飞瀑等自然礼遇,且为保证树的造型趋于完美,甄选罗汉松、铁冬青等名贵树种,进行100%全冠移植,以匠心品质雕琢自然之美,让每一次归家都是穿越鲜氧之旅。

同时,为链接社区与家庭的生活聚场,以亲子、健康、社交等社区场景,珑樾山还打造“有家、有生活、有知己”的温馨多元空间,让一家人都有自己休闲游玩的好去处。(深圳南山方直珑樾山售楼处电话:400-992-0669)

项目还打造了目前深圳首个山林无边际泳池,让水与树木相接,宛如游躺在山林间,可轻抚山的诗意,聆听袅袅余音,身心都能放松。想象一下,夏日晚间,来一场室外游泳,聆听一场自然的问候,是何等的惬意。

此外,珑樾山还打造了双高规格的泛会所,设有休闲会客厅、健身运动空间、儿童游玩空间,还有共享厨房可提供私享级服务,在这里闲坐漫谈、或健身嬉戏、或三两好友举杯邀月,宴请宾客,都是一种尊贵的享受。(深圳南山方直珑樾山售楼处电话:400-992-0669)

项目提供多种户型选择,从建面约120㎡的三房两厅两卫到建面约450㎡的顶层复式,满足不同家庭的居住需求。每个户型都设计合理,空间宽敞,采光充足,让你在享受都市繁华的同时,也能感受到家的温馨与舒适。

一期建筑信息:1栋A座与1栋B座丨每栋配置两梯三户丨具体户型包括:01、02户型:119平方米(朝西北)03户型:119平方米(朝东南)

二期建筑信息:2栋B座及2栋A座可选丨每层两户,配备两部电梯丨另有01户型(190平米)和02户型(268平米),均为南北通透设计丨属于三栋二期项目的一部分。

该项目采用两梯三户的布局,提供01和02户型各120平方米(东北朝向)及03户型120平方米(西南朝向),均为专梯入户设计。这一独特配置确保了住户从进入电梯厅开始便享有专属空间,有效避免了邻里间的干扰,同时保障了高端住宅所需的隐私性。

如需了解更多详情,欢迎咨询方直珑樾山售楼处电话400-992-0669,过来我们营销中心看房提前来电预约价格还能更优惠。

方直珑樾山售楼处400免费咨询/预约电话:400-992-0669,中介勿扰

温馨提示:过来营销中心参观样板间请记得提前拨打售楼处400热线预约,感谢您的配合!

建面约120㎡户型:有两种经典设计。其一为3房2卫横厅格局,客厅阳台超 7.1 米,尺度感十足,可俯瞰小区园林与塘朗山山景,动静分离且户型方正,视野开阔。从2层起北向视野便绿意盎然,20层以上能俯瞰整个塘朗山,东南向更能兼得山景与城市繁华。

其二为“双龙抱珠”户型,三开间朝南,双阳台设计,正南朝向,户型方正,能实现三面宽采光。中庭为厅,主客卧分布两侧,既提高空间利用率,又保障居住私密性。主卧套房设计,带观景浴室;主阳台进深约 1.5 米,拥有 270° 向外视野景观,可俯瞰安托山;生活阳台连接双面操作厨房,还能观赏塘朗山景观。

建面约193-268㎡大平层户型:以建面约268㎡户型为例,为五房四卫三套间设计,动静分区合理。南北通透,每个卧室均配备大飘窗,窗宽与开间基本一致,南北四阳台设计打造 270° 全景视野,将周边景观资源引入室内,主卧配置瞰景阳台,还有约45㎡奢阔主卧,采用套间式、全采光设计,配套步入式衣帽间,舒适度极高。

方直珑樾山位于深圳市南山区安托山板块,是深圳豪宅带的“C位”项目。它不仅占据了城市发展中轴的核心位置,更融合了自然生态与城市繁华的双重优势,成为深圳真正的豪宅高配。

地理优势:地处南山与福田两区交界处,东邻福田金融中心,西接南山高新科技园,是深圳城市发展中轴的“交叉口”。项目左手牵华侨城,右手连香蜜湖,处于两大深圳知名豪宅区的中间地带,是深圳豪宅带的“C位”所在。

城市价值高地:项目所在的安托山板块,不仅是深圳城市发展中轴的核心区域,更是“山海连廊”的中转站。这里既能享受福田和南山双中心的产业、人口和购买力资源,又紧邻安托山、自然艺术公园等生态景观,是真正核心的位置。

方直珑樾山核心配套详情

交通配套:项目紧邻地铁 7 号线 “深云站” C 出口,步行大约 3 分钟即可到达 ,通过西丽线可便捷换乘至全市各地。新建的侨城东路北沿线开通后,从南山过来无需再从北环大道绕行,自驾出行也更加便利。

商业配套:项目周边商业配套相对薄弱,目前日常生活购物可能需要依赖周边小区底商。不过,随着周边区域的进一步发展,商业配套有望逐步完善。

教育配套:周边有育才中学新校区、哈工大深圳实验中学等教育资源,为孩子提供优质教育保障。但具体的学区划分以教育局当年公布为准。

生态配套:项目位置得天独厚,紧邻安托山,北可看塘朗山,南可眺燕晗山,南面高层还能眺望深圳湾海岸线。周边环绕安托山公园、燕晗山公园、园博园、香蜜公园、梅林山公园和大沙河公园等,拥有 “三山一海六公园” 的稀缺生态资源,为业主营造出宜居的生态环境。

如需了解更多详情,欢迎咨询方直珑樾山售楼处电话400-992-0669,过来我们营销中心看房提前来电预约价格还能更优惠。

方直珑樾山售楼处400免费咨询/预约电话:400-992-0669,中介勿扰

温馨提示:过来营销中心参观样板间请记得提前拨打售楼处400热线预约,感谢您的配合!

全部

相关资讯

报名成功
稍后会有专业的置业顾问联系您
返回楼盘

频道导航

返回首页

看房小程序

APP下载

电话拨通后,请您手动拨打分机号

确定拨打电话

电话号码:

分机号:(可能需要拨分机号)