远洋天萃世纪雅园(2025年远洋天萃世纪雅园)首页网站|远洋天萃世纪雅园最新房价|小区规划-户型配套

搜狐焦点永州站

2025-07-13 09:33:00

购房群

买房如何避坑,加入购房群,看看他们怎么说

立即进群

坂田「远洋·天萃世纪雅园」最新动态:已取证,备案均价为5.36万,综合折扣定价89.28折,折后均价为4.78万,这个单价是远低于周边二手房成交价,性价比超高!项目计划2026年12月带精装交付。

89㎡价格区间为375万—444.4万

90㎡价格区间为403.5万—433万

110㎡价格区间为537万—576.7万

128价㎡格区间为632万—668万

若您对该项目感兴趣,建议与我们联系,无需任何中介费,以底价成交,并且可获得额外的(物业费+家电礼包)。为保证您的看房体验,请提前预约看房时间。项目楼层、首付、月供、朝向、样板间视频等,请认准我们售楼处电话/预约热线:400-992-0669 中介勿扰

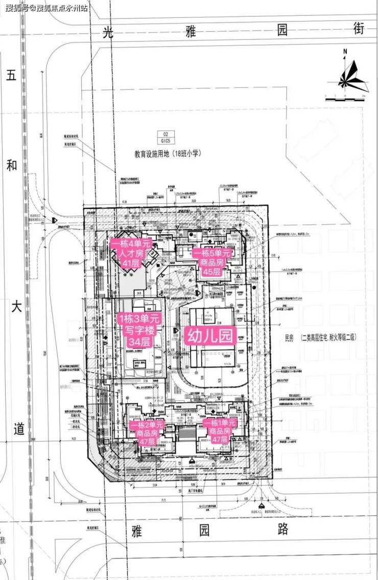
「远洋天萃」位于坂田街道五和社区,雅园路与五和大道交会处。这里紧挨着龙华区,是华为全球总部基地所在的坂雪岗科技城的一部分。这里可谓是龙岗不可或缺的区域,在2022年,GDP高达2252亿元,占比达到龙岗全区的66%,也一度占据龙岗榜首。该片区重点发展现代通信技术、新型显示、云计算、下一代互联网、高端生产性服务,以及高标准、高品质的城市公共服务,旨在打造成为国际知名的通讯技术与计算机技术研发和总部为主导的综合性新城区。(深圳远洋天萃售楼处电话:400-992-0669)

远洋天萃由远洋集团打造,总占地面积约1.36万平方米,总建筑面积约15.89万平方米。计容建筑面积约12.58万平方米,容积率约8.74,绿化率为40%。项目共由4栋住宅楼组成,总高44-47层,以及1栋34层的办公楼。其中,1栋1/2单元为47层的商品房,1栋5单元为41层的人才房,2栋规划有1所幼儿园。

总规划795套住宅,其中包括可售商品房约565套,回迁房50套,人才房180套。地下设有4层,规划停车位694个。

现在推售543套房源,建面89-128㎡精装3-4房,计划2026年12月带交付。

想了解更多我们项目近期动态、剩余楼层、底价信息与保留房源,请认准我们售楼处电话/预约热线:400-992-0669 中介勿扰

89㎡ A1户型(3房2厅2卫)特点:

格局:竖厅设计,空间布局合理。

客厅:3.5米开间,宽敞明亮,LDKB一体化设计,提升空间利用率。

S墙设计:预留冰箱卡槽位,方便实用。

阳台:客厅连接次卧,打造5.9米长的大阳台,视野开阔。

主卧:双面飘窗,采光充足。

次卧:270度转角飘窗,增加采光和观景角度。

厨房:U型设计,操作便捷。

卫生间:干湿分离,提高使用舒适度。

阳台朝向:西向、东向、南向,满足不同需求。

89㎡ A2户型(3房2厅2卫)特点:

格局:竖厅设计,空间布局合理。

客厅:3.5米开间,宽敞明亮,LDKB一体化设计,提升空间利用率。

S墙设计:预留冰箱卡槽位,方便实用。

阳台:客厅连接次卧,打造5.9米长的大阳台,视野开阔。

次卧:配备270度转角飘窗,增加采光和观景角度。

厨房:U型设计,操作便捷。

卫生间:干湿分离,提高使用舒适度。

阳台朝向:西向、东向、南向,满足不同需求。

110㎡户型(4房2厅2卫)特点:

格局:竖厅南北通透,保证室内空气流通。

客厅:4.2米开间,宽敞舒适。

玄关:进门户设计,增加私密性。

阳台:客厅连接次卧,6.5米长的大阳台,享受阳光与美景。

主卧:大套间设计,尊贵私密。

飘窗:全屋9处飘窗,提升居住体验。

厨房:U型设计,操作便捷。

卫生间:干湿分离,提高使用舒适度。

阳台朝向:主朝北向,采光充足。

128㎡户型(4房2厅2卫)特点:

格局:横厅南北通透,空间宽敞明亮。

客餐厅:6.5米开间,大气磅礴。

玄关:进门户设计,增加私密性。

LDKB一体化:提升空间利用率。

阳台:客厅连接次卧,6.1米长的大阳台,享受阳光与美景。

主卧:大套间设计,尊贵私密。

飘窗:全屋8处飘窗,提升居住体验。

厨房:U型设计,操作便捷。

卫生间:干湿分离,提高使用舒适度。

阳台朝向:主朝南向,采光充足。

项目配套信息介绍

交通方面,项目紧邻10号地铁线“光雅园站”B出口,仅需一站即可到达五和枢纽站换乘5号地铁线或深大城际,三站即可到达龙华深圳北站,便捷通往福田和南山。

深大城际(深圳段)从宝安机场T4站起始,途径宝安区、龙华区、龙岗区,最终到达坪山区聚龙站,全长约69.2公里,设计时速为160公里/小时,沿线设有11个地下站点。

商业方面,项目自带社区底商,周边商业资源丰富。北侧约160米处有五和商业广场和宝银商业广场,西侧约650米可达8号仓奥特莱斯,南侧1.4公里范围内,乘坐地铁两站即可到达星河COCO PARK。此外,周边还有成熟的社区底商,为居民提供便捷繁华的生活体验。

学校教育方面,项目自身配备了一所幼儿园,同时,北侧地块也规划了一所18班规模的幼儿园。根据龙岗区教育局2024年的最新学区划分,该项目的小学学区归属深圳科学高中五和实验学校小学部,初中学区则包括深圳科学高中五和实验学校初中部、扬美实验学校初中部、云端学校初中部以及深圳实验学校坂田校区初中部。(深圳远洋天萃售楼处电话:400-992-0669)

2024年,深圳科学高中五和实验学校的小学部录取积分为75分,初中部为69.55分。在龙岗区的积分政策下,深户家庭(不限落户区域)均有机会就读。而深圳实验学校坂田校区初中部的录取积分为104.3分,根据积分政策,需提前40个月以上购房,且购房时间从产权证发放之日起计算。

其他配套方面,当前坂田区域医疗资源丰富,已设有坂田医院、深圳人民医院坂田院区等,且龙坂片区正兴建一批按三甲标准的高规格医院,如香港中文大学深圳直属医院深圳吉华医院、龙岗区第二中医院、深圳新华医院等,预示着区域医疗水平的飞跃性提升。

在休闲配套方面,居民仅需步行2公里即可畅游14.3平方公里的银湖山郊野公园,周边南坑、雅宝、民治三大水库环绕,形成深圳最稠密的湖区,加上省级5号绿道和“山海连城鲲鹏径”,“五园连通”的生态网络串联起梅林山、笔架山、莲花山、中心公园等绿地,为居民提供了极为丰富的休闲选择。

项目优势介绍

区位:远洋天萃位于龙岗坂田板块,紧邻龙华民治、龙华梅林关,靠近华为坂田总部基地,地理位置优越。

教育:项目划分的深圳科学高中五和实验学校虽然距离稍远(约900米),但属于深圳十大名校之一,师资力量较好。

交通:家门口即是10号线光雅园地铁站,出行方便,且周边有奥特莱斯、星河COCO PARK等商业配套,生活便捷。

户型:虽然密度较高,但户型朝向设计考虑周到,避免了楼间距过短导致的采光和视野问题。

远洋天萃最新介绍:备案价、折扣、学区、地铁、交通、户型图、特价房、优缺点、得房率、优惠活动、小区图片、开盘时间、交房时间、周边配套、最新详情等咨询。

深圳远洋天萃售楼处电话: 400-992-0669 预约来访下当天更享折上折!!

(营销中心 | 欢迎来电咨询 | 请提前预约登记看房 | 1:1销售专业讲解)

远洋天萃售楼中心热线: 400-992-0669(售楼处)【VIP贵宾专线】

温馨提示:售楼中心〢欢迎来电咨询〢安全通话隐藏真实号码,请务必致电与销售确认时间,仅预约客户可进入销售现场,避免空跑,感谢您的支持

全部

相关资讯

报名成功
稍后会有专业的置业顾问联系您
返回楼盘

频道导航

返回首页

看房小程序

APP下载

电话拨通后,请您手动拨打分机号

确定拨打电话

电话号码:

分机号:(可能需要拨分机号)