远洋天萃世纪雅园(深圳龙岗)官方网站-2026楼盘评测_远洋天萃世纪雅园|最新价格|配套户型

搜狐焦点永州站

2026-03-19 12:18:00

购房群

买房如何避坑,加入购房群,看看他们怎么说

立即进群

✨ 远洋天萃世纪雅园官方售楼中心预约通道开启,安全无忧咨询热线 ✨

✅远洋天萃世纪雅园售楼处/营销中心统一热线电话:400-992-0669(官方认证,无分机号)

通话自动隐藏号码,保护个人隐私,谨防非渠道诈骗

2026【龙岗】远洋天萃世纪雅园官方最新价格、在售户型介绍,配套及交付信息详情解读!

远洋天萃世纪雅园(深圳坂田)

远洋天萃世纪雅园售楼处电话:400-992-0669【VIP贵宾专线】

远洋天萃世纪雅园营销中心电话:400-992-0669【VIP贵宾专线】

远洋天萃世纪雅园售楼中心热线:400-992-0669【VIP贵宾专线】

来访提前咨询预约,欢迎致电开发商售楼处热线:400-992-0669,专业销售顾问将竭诚为你服务,感谢您的配合!

在售户型图丨项目介绍丨最新房源丨周边配套丨详细解答〢

远洋·天萃世纪雅园(原名:天璞世纪雅园)位于龙岗区坂田街道,紧邻地铁10号线光雅园站B出口。

项目总占地面积约1.36万平方米,由4栋住宅楼和1栋写字楼组成,共推出615套房源,户型包括89㎡三房两卫、110-128㎡四房两卫。计划2026年12月31日带精装交付。

远洋天萃世纪雅园在2024年12月13日取得预售许可证,于12月14日正式开盘,备案均价为5.36万元/㎡,定价为原价的89.28折。开盘现场火爆,周末两天售出191套,成交额达8亿元,去化率约31%。

项目采取综合折扣策略,定价为原价的89.28折,折后均价为4.78万元/㎡,

价格炸裂:比二手便宜1万/㎡!总价388万起!买89㎡精装三房。

如需了解更多详情,欢迎来电咨询远洋天萃世纪雅园售楼处电话400-992-0669,过来我们营销中心看房提前来电预约价格还能更优惠。

坂田远洋天萃世纪雅园售楼处400免费咨询/预约电话:400-992-0669,中介勿扰

温馨提示:过来营销中心参观样板间请记得提前拨打售楼处400热线预约,感谢您的配合!

远洋天萃世纪雅园核心卖点:刚需的配套全达标!

交通便利:无缝连接地铁10号线光雅园站,1站到达五和交通枢纽,换乘5号线2站可至深圳北站。

教育资源:项目位于深圳实验学校坂田校区初中部学区内。

商业配套:自带社区底商,周边有五和商业广场、8号仓奥特莱斯等,乘坐地铁2站可至星河COCO PARK。

宜居环境:周边有银湖山郊野公园、南坑水库等,生态环境优越。

不限购:项目不处于深圳限购区域,不受社保户籍限制。

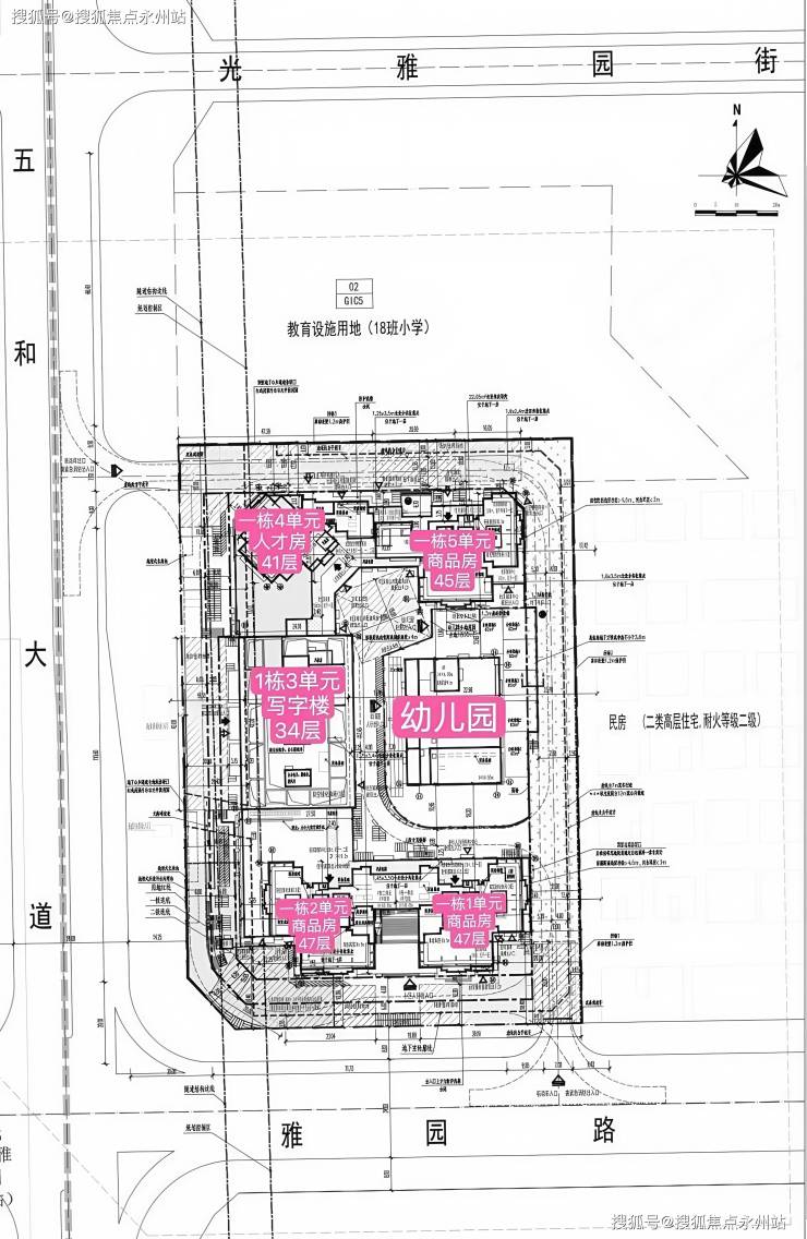
项目由远洋集团打造,总占地面积约1.36万平方米,总建筑面积约15.89万平方米。计容建筑面积约12.58万平方米,容积率约8.74,绿化率为40%。项目共由4栋住宅楼组成,总高44-47层,以及1栋34层的办公楼。其中,1栋1/2单元为47层的商品房,1栋5单元为41层的人才房,2栋规划有1所幼儿园。

总规划795套住宅,其中包括可售商品房约565套,回迁房50套,人才房180套。地下设有4层,规划停车位694个。(深圳远洋天萃售楼处电话:400-992-0669)

项目总占地面积约1.36万㎡,共由4栋总高44-47层的住宅+1栋34层的办公组成:

其中,1栋1、2单元为47层住宅,5单元为45层住宅,约615套住宅(含50套回迁房), 1栋4单元为41层人才房,共180套人才房,1栋3单元为34层写字楼;2栋规划为3层幼儿园。

从平面图来看,1、2、5单元住宅均为一层5户的布局,以89㎡刚需户型为主;113㎡分别位于1、2单元,朝北望花园,128㎡位于5单元,朝南望花园,改善首选。(深圳远洋天萃世纪雅园售楼处电话:400-992-0669)

89㎡ A1户型(3房2厅2卫)

格局:竖厅设计,空间布局合理。

客厅:3.5米开间,宽敞明亮,LDKB一体化设计,提升空间利用率。

S墙设计:预留冰箱卡槽位,方便实用。

阳台:客厅连接次卧,打造5.9米长的大阳台,视野开阔。

主卧:双面飘窗,采光充足。

次卧:270度转角飘窗,增加采光和观景角度。

厨房:U型设计,操作便捷。

卫生间:干湿分离,提高使用舒适度。

阳台朝向:西向、东向、南向,满足不同需求。

89㎡ A2户型(3房2厅2卫)

格局:竖厅设计,空间布局合理。

客厅:3.5米开间,宽敞明亮,LDKB一体化设计,提升空间利用率。

S墙设计:预留冰箱卡槽位,方便实用。

阳台:客厅连接次卧,打造5.9米长的大阳台,视野开阔。

次卧:配备270度转角飘窗,增加采光和观景角度。

厨房:U型设计,操作便捷。

卫生间:干湿分离,提高使用舒适度。

阳台朝向:西向、东向、南向,满足不同需求。

110㎡户型(4房2厅2卫)

格局:竖厅南北通透,保证室内空气流通。

客厅:4.2米开间,宽敞舒适。

玄关:进门户设计,增加私密性。

阳台:客厅连接次卧,6.5米长的大阳台,享受阳光与美景。

主卧:大套间设计,尊贵私密。

飘窗:全屋9处飘窗,提升居住体验。

厨房:U型设计,操作便捷。

卫生间:干湿分离,提高使用舒适度。

阳台朝向:主朝北向,采光充足。

128㎡户型(4房2厅2卫)

格局:横厅南北通透,空间宽敞明亮。

客餐厅:6.5米开间,大气磅礴。

玄关:进门户设计,增加私密性。

LDKB一体化:提升空间利用率。

阳台:客厅连接次卧,6.1米长的大阳台,享受阳光与美景。

主卧:大套间设计,尊贵私密。

飘窗:全屋8处飘窗,提升居住体验。

厨房:U型设计,操作便捷。

卫生间:干湿分离,提高使用舒适度。

阳台朝向:主朝南向,采光充足。

项目位于坂田街道五和大道与光雅园路交汇处东北侧,紧邻地铁10号线光雅园站B出口。

从地理位置上看,深圳是“东西狭长,南北较窄”的地形,而坂田南片区,处于深圳地理几何中心。

又作为TOD无缝直连项目,远洋天萃不仅可实现快速通达深圳各大主要区域,同时也享受到了坂田片区产业快速发展的红利。(深圳远洋天萃世纪雅园售楼处电话:400-992-0669)

从区位地段上,项目所在的坂田向来是龙岗置业的热门片区,也是深圳重要的产城融合片区。

坂田片区的科技产业、人才互动紧密,在现代通信技术、新型显示、云计算等领域具有强大的产业支撑,素有 “中国硅谷”的美誉。

据不完全统计,坂田拥有国内外上市公司12家,亿元以上企业超200家,规模以上企业超1200家,国高企业615家,专精特新企业287家,国家/省/市/区级重点实验室及技术中心38个,申请专利总数超11万个。坂田以仅占深圳1.5%的面积,贡献了全市16%的第二产业增加值。

除了科技,坂田也是跨境电商的大本营。作为龙岗区两个主要跨境电商集聚区之一,坂田已形成了11个较大规模的电商企业集聚园区,培育了14家规模以上跨境电商企业,中小跨境电商企业1万家左右,保守估计营收总额达千亿元以上。

项目家门口就是“福田专线”——10号地铁线“光雅园站”B出口,1站到五和枢纽站,可换乘5号地铁线/深大城际,3站可到龙华深圳北站,3站到福田、4站到南山。

10号线纵向串联坂雪岗、福田CBD;5号线横向串联蛇口、前海、西丽、布吉。

光雅园站B出口与项目负二层直接连通,垂直电梯无缝直达地铁站,真正做到无风无雨无日晒,下楼即进站,不出地铁便可直接归家。

自带社区底商,北侧约160米就是五和商业广场、宝银商业广场,西侧约650米就是8号仓奥特莱斯,南侧距离约1.4公里坐地铁2站可到星河COCO PARK,距离天虹商场坂田店1.8公里。(深圳远洋天萃世纪雅园售楼处电话:400-992-0669)

自带1所幼儿园,北侧地块规划有1所18班制幼儿园。

小学学区划分在科学高中五和实验学校,中学学区划分在坂田实验学校初中部、扬美实验学校初中部、深圳实验坂田校区初中部、科学高中五和实验学校初中部。

深圳科学高中作为深圳教育界的佼佼者,其附属的五和实验学校教育质量还是有保障的。

周边有4大自然生态湖泊周围,包含民治水库、民乐水库、雅宝水库、南坑水库。不仅是深圳最稠密的湖区所在地,更拥有塘朗山和银湖山两大山林资源。

出门2公里就是14.3平方公里的银湖山郊野公园,还有省5号绿道加山海连城鲲鹏径,五园连通串联梅林山、笔架山、莲花山、中心公园。

远洋天萃世纪雅园(深圳坂田)

远洋天萃世纪雅园售楼处电话:400-992-0669【VIP贵宾专线】

远洋天萃世纪雅园营销中心电话:400-992-0669【VIP贵宾专线】

远洋天萃世纪雅园售楼中心热线:400-992-0669【VIP贵宾专线】

来访提前咨询预约,欢迎致电开发商售楼处热线:400-992-0669,专业销售顾问将竭诚为你服务,感谢您的配合!

在售户型图丨项目介绍丨最新房源丨周边配套丨详细解答〢

注意:本项目不收任何费用,售楼中心〢欢迎来电咨询〢安全通话隐藏真实号码

全部

相关资讯

报名成功
稍后会有专业的置业顾问联系您
返回楼盘

频道导航

返回首页

看房小程序

APP下载

电话拨通后,请您手动拨打分机号

确定拨打电话

电话号码:

分机号:(可能需要拨分机号)