方直珑樾山(售楼处)首页网站-南山方直珑樾山欢迎您|楼盘详情/户型/价格/地址

搜狐焦点永州站

2025-06-22 15:47:00

购房群

买房如何避坑,加入购房群,看看他们怎么说

立即进群

南山【方直珑樾山】售楼处24小时电话:400 992 0669(开发商直销)现场详细解答丨项目介绍丨户型图丨在售房源丨特价房丨学校丨交通位置丨样板房丨小区图片丨交房时间丨周边配套丨

方直珑樾山备案均价9.7万/㎡,折后单价6.9万/㎡起,总价820万可入手120㎡精装三房,性价比碾压同地段新盘。

项目位于南山核心地段,交通便利,紧邻地铁7号线深云站,坐拥塘朗山自然美景,居住环境优越。户型多样,满足不同家庭需求,且价格适中,具有较高的性价比。方直珑樾山是深圳高端居住圈的优选之一。(深圳南山方直珑樾山售楼处电话:400-992-0669)

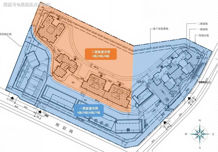
方直珑樾山,由深圳市龙廷房地产开发有限公司精心打造,坐落于南山区龙珠大道8号(深云站C出口)。项目占地面积2.13万㎡,建筑面积达11.52万㎡ ,规划4 栋高层住宅以及10户商业别墅,总户数为520户,小区容积率为3.62,绿化率30%,车位比1:1.3,能较好地满足业主停车需求,产权年限为70年,交付标准为毛坯,已是准现楼状态。

项目推售主力户型为2梯3户的120㎡三房,2梯2户200-268㎡,另有顶层复式户型 面积约300-500㎡,折后单价6.9万/㎡起。

如需了解更多详情,欢迎咨询方直珑樾山售楼处电话400-992-0669,过来我们营销中心看房提前来电预约价格还能更优惠。

方直珑樾山售楼处400免费咨询/预约电话:400-992-0669,中介勿扰

温馨提示:过来营销中心参观样板间请记得提前拨打售楼处400热线预约,感谢您的配合!

聚焦到项目本身,珑樾山的品质,也是深圳豪宅的TOP级别。

珑樾山的开发商方直集团,拥有20多年发展历史,深耕大湾区,专注产品,在行业内颇有口碑。

关于方直的实力有多强,一件事情就能直接体现:方直拥有20多年的园林筑造经验,被称为“园林专家”,是万科、中海等多家房企的园林战略供应商。

这样一个方直集团,对珑樾山这样一块深圳中心的半山豪宅土地,倾注了无以言表的匠心。

你能想象吗?珑樾山约11.5万平的建筑体量,花费的设计费是:5000万,折合高达435元/平!

项目建筑外立面为玻璃幕墙+铝板打造,这种规格一般只会出现在顶级豪宅上,比如华侨城天鹅堡二期、三期,深圳湾红树西岸。

历史验证,玻璃幕墙+铝板打造的建筑立面,不仅拥有璨烂夺目的美感、代表一种国际化品味,还能让阳光、空气更好的进入室内,并且历久弥新,赋予项目更出色的保值增值力。(深圳南山方直珑樾山售楼处电话:400-992-0669)

因为地处半山,珑樾山利用这种稀缺的天然优势,打造了一个台地式立体园林。

项目特特邀世界豪宅专家CCD郑中设计执笔,秉持“引龙下山 引水入园”的理念,借周边自然景观,通过园林景观和层叠水系,造就与自然平等相处的“流水森林”,呈现山居生活的悠然从容。

园内以五进礼序,形成追寻山涧、空山新雨、松林跌瀑、卧桥清溪、玉台飞瀑等自然礼遇,且为保证树的造型趋于完美,甄选罗汉松、铁冬青等名贵树种,进行100%全冠移植,以匠心品质雕琢自然之美,让每一次归家都是穿越鲜氧之旅。

同时,为链接社区与家庭的生活聚场,以亲子、健康、社交等社区场景,珑樾山还打造“有家、有生活、有知己”的温馨多元空间,让一家人都有自己休闲游玩的好去处。(深圳南山方直珑樾山售楼处电话:400-992-0669)

项目还打造了目前深圳首个山林无边际泳池,让水与树木相接,宛如游躺在山林间,可轻抚山的诗意,聆听袅袅余音,身心都能放松。想象一下,夏日晚间,来一场室外游泳,聆听一场自然的问候,是何等的惬意。

此外,珑樾山还打造了双高规格的泛会所,设有休闲会客厅、健身运动空间、儿童游玩空间,还有共享厨房可提供私享级服务,在这里闲坐漫谈、或健身嬉戏、或三两好友举杯邀月,宴请宾客,都是一种尊贵的享受。(深圳南山方直珑樾山售楼处电话:400-992-0669)

项目提供多种户型选择,从建面约120㎡的三房两厅两卫到建面约450㎡的顶层复式,满足不同家庭的居住需求。每个户型都设计合理,空间宽敞,采光充足,让你在享受都市繁华的同时,也能感受到家的温馨与舒适。

一期建筑信息:1栋A座与1栋B座丨每栋配置两梯三户丨具体户型包括:01、02户型:119平方米(朝西北)03户型:119平方米(朝东南)

二期建筑信息:2栋B座及2栋A座可选丨每层两户,配备两部电梯丨另有01户型(190平米)和02户型(268平米),均为南北通透设计丨属于三栋二期项目的一部分。

该项目采用两梯三户的布局,提供01和02户型各120平方米(东北朝向)及03户型120平方米(西南朝向),均为专梯入户设计。这一独特配置确保了住户从进入电梯厅开始便享有专属空间,有效避免了邻里间的干扰,同时保障了高端住宅所需的隐私性。

如需了解更多详情,欢迎咨询方直珑樾山售楼处电话400-992-0669,过来我们营销中心看房提前来电预约价格还能更优惠。

方直珑樾山售楼处400免费咨询/预约电话:400-992-0669,中介勿扰

温馨提示:过来营销中心参观样板间请记得提前拨打售楼处400热线预约,感谢您的配合!

建面约120㎡户型:有两种经典设计。其一为3房2卫横厅格局,客厅阳台超 7.1 米,尺度感十足,可俯瞰小区园林与塘朗山山景,动静分离且户型方正,视野开阔。从2层起北向视野便绿意盎然,20层以上能俯瞰整个塘朗山,东南向更能兼得山景与城市繁华。

其二为“双龙抱珠”户型,三开间朝南,双阳台设计,正南朝向,户型方正,能实现三面宽采光。中庭为厅,主客卧分布两侧,既提高空间利用率,又保障居住私密性。主卧套房设计,带观景浴室;主阳台进深约 1.5 米,拥有 270° 向外视野景观,可俯瞰安托山;生活阳台连接双面操作厨房,还能观赏塘朗山景观。

建面约193-268㎡大平层户型:以建面约268㎡户型为例,为五房四卫三套间设计,动静分区合理。南北通透,每个卧室均配备大飘窗,窗宽与开间基本一致,南北四阳台设计打造 270° 全景视野,将周边景观资源引入室内,主卧配置瞰景阳台,还有约45㎡奢阔主卧,采用套间式、全采光设计,配套步入式衣帽间,舒适度极高。

方直珑樾山位于深圳市南山区安托山板块,是深圳豪宅带的“C位”项目。它不仅占据了城市发展中轴的核心位置,更融合了自然生态与城市繁华的双重优势,成为深圳真正的豪宅高配。

地理优势:地处南山与福田两区交界处,东邻福田金融中心,西接南山高新科技园,是深圳城市发展中轴的“交叉口”。项目左手牵华侨城,右手连香蜜湖,处于两大深圳知名豪宅区的中间地带,是深圳豪宅带的“C位”所在。

城市价值高地:项目所在的安托山板块,不仅是深圳城市发展中轴的核心区域,更是“山海连廊”的中转站。这里既能享受福田和南山双中心的产业、人口和购买力资源,又紧邻安托山、自然艺术公园等生态景观,是真正核心的位置。

方直珑樾山核心配套详情

交通配套:项目紧邻地铁 7 号线 “深云站” C 出口,步行大约 3 分钟即可到达 ,通过西丽线可便捷换乘至全市各地。新建的侨城东路北沿线开通后,从南山过来无需再从北环大道绕行,自驾出行也更加便利。

商业配套:项目周边商业配套相对薄弱,目前日常生活购物可能需要依赖周边小区底商。不过,随着周边区域的进一步发展,商业配套有望逐步完善。

教育配套:周边有育才中学新校区、哈工大深圳实验中学等教育资源,为孩子提供优质教育保障。但具体的学区划分以教育局当年公布为准。

生态配套:项目位置得天独厚,紧邻安托山,北可看塘朗山,南可眺燕晗山,南面高层还能眺望深圳湾海岸线。周边环绕安托山公园、燕晗山公园、园博园、香蜜公园、梅林山公园和大沙河公园等,拥有 “三山一海六公园” 的稀缺生态资源,为业主营造出宜居的生态环境。

如需了解更多详情,欢迎咨询方直珑樾山售楼处电话400-992-0669,过来我们营销中心看房提前来电预约价格还能更优惠。

方直珑樾山售楼处400免费咨询/预约电话:400-992-0669,中介勿扰

温馨提示:过来营销中心参观样板间请记得提前拨打售楼处400热线预约,感谢您的配合!

全部

相关资讯

报名成功
稍后会有专业的置业顾问联系您
返回楼盘

频道导航

返回首页

看房小程序

APP下载

电话拨通后,请您手动拨打分机号

确定拨打电话

电话号码:

分机号:(可能需要拨分机号)