最近,随着楼市回暖,烟台的土地市场也是风起云涌,继开发区日拍两地块狂揽21亿,本周高新区和芝罘区也是陆续推出高货值地块,其中芝罘区幸福和夏家两块地尤为值得关注,一块位于幸福新城,传闻芝罘中学将随一中一起在幸福新城设立分校,另一块夏家旧改地块则位于目前15中(已被芝罘中学挂牌托管)学区内。
幸福地块:
烟J[2020]Z001号位于芝罘区幸福南路以北、珠玑东路以东的H地块,系珠玑棚改项目,规划占地81207平方米,其中地上建筑面积不大于227360平方米,其中住宅建筑面积不大于204600平方米,容积率小于等于2.8,初始起拍金额75834.54万元,起拍楼板价3335.44元/平方米。

其中竞得方须和芝罘区人民政府、芝罘区财政局、芝罘区棚户区改造指挥部,凤凰台街道办事处等四方签订回购安置协议:根据协议要求本宗地将由财政局分批拨款,凤凰台街道办经办向竞得方回购安置住宅28127.07平方米,回购单价3899元/平方米,回购费用10966.74万元。回购部分开发商均需办理正常商品房不动产证,除此之外,协议约定宗地竞得人须无偿提供住宅建筑面积20977平方米、无偿提供商业建筑面积2879平方米,无偿提供物业服务用房建筑面积不得小于1550平方米。


该地块目前仍未拆迁完毕,属于木材厂旧改区,地块位于幸福新城东南边缘地带。周边目前主要生活配套为幸福河市场和振华家家悦商圈以及东方文化市场,周边主要学校有航天小学和烟台十一中,虽距离两所学校近1公里,但因地块隶属凤凰台街道,所以后期大概率会随珠玑板块划入幸福新城学区。这一点从地块高达3335.44元/㎡的起始楼板价也可以看出官方对于地块未来的规划还是有一定自信的。
规划可建设用地约8.12公顷(其中,一处幼儿园用地面积约4229平方米,一处消防站用地面积约1248平方米), 规划地上建筑面积不大于227360平方米,其中住宅建筑面 积不大于204600平方米,商业建筑面积不大于11995平方 米,幼儿园建筑面积不小于2665平方米,派出所建筑面积 不小于3800平方米,社区综合服务设施(含居委会和居民 公益性服务设施)建筑面积不小于600平方米,党群活动中 心建筑面积不小于600平方米,文化活动站建筑面积不小于 300平方米,物业用房建筑面积不小于1550平方米,社区卫 生服务站建筑面积不小于150平方米,养老服务用房建筑面 积不小于350平方米,警务室建筑面积不少于50平方米, 消防站建筑面积不少于650平方米,公共厕所建筑面积不少 于50平方米。地下车库建筑面积约82600平方米。容积率不大于2.8。
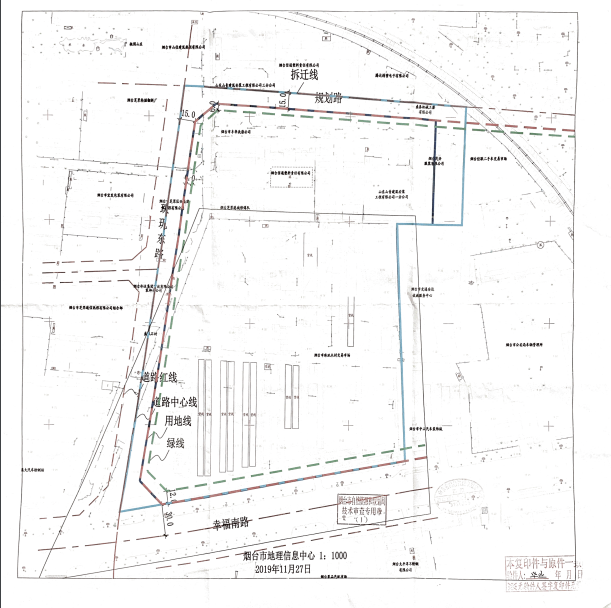
幸福地块项目勘定图及红线图如下:


夏家地块:
芝罘区胜利南路以东,荆山路以北的烟J[2020]1005号和烟J[2020] 1006号同属夏家旧改地块,虽然分属两个地块,但从竞标说明上可以看出,两块地竞标保证金是合并缴纳,由此可见两块地基本将由统一开发商竞得。因A地块烟J[2020]1005号须签署回迁安置回购协议,且回购面积接近50%, B地块烟J[2020] 1006容积率1.0来看,地块大概率会出现协议型底价定向拿地。目前地块周边基本以山水龙城系列开发和金地系列开发为主,不出意外,两宗地块基本由其中一家以底价拍得。
A地块出让面积73327.8平方米,规划建筑面积大于121300平方米且不大于128300平方米,容积率不不大于1.75,起始价31400万元, 楼板价2447元/㎡。其中住宅不大于110000平方米,商业不大于8950平方米,幼儿园不小于5000平方米,农贸市场不小于2000平方米,物业用房不小于900平方米,社区综合服务设施不小于600平方米,社区食堂不小于300平方米,养老用房不小于350平方米,社区卫生服务站不小于150平方米,警务室不小于50平方米,建筑限高80米。须提供5万平回迁安置住宅。由市财政拨款以3078元/平方米向开发商回购。实际对外可售住宅面积约6万平。

B地块出让土地面积24672.5平方米,规划建筑面积大于24700平方米且不大于25000平方米,容积率不大于1.04,起拍金额15300万元,楼板价6120元/㎡。其中包括住宅建筑面积不大于24700平方米,物业用房建筑面积不小于200平方米,养老用房建筑面积不小于100平方米。地下车库建筑面积约10000平方米。建筑限高20米。从规划来看,该地块基本以低密洋房别墅为主。

该地块目前已为净地,项目周边目前在售项目有山水龙城·山湖郡、金地·浅山艺境、金科·博翠山,高层均价11000左右,洋房均价14000左右,地块周边目前生活配套相对成熟,主要生活配套以山水龙城底商为主。学校资源目前以15中(芝罘中学挂牌托管)为主,目前挂牌后的师资配置和教学质量是否有质的提升尚不得而知。后期我们也会持续关注。
夏家AB地块项目红线图如下:
