滨江兴耀松川境售楼处电话→滨江兴耀松川境售楼中心电话→2025滨江兴耀松川境楼盘百科→楼盘网站→楼盘测评→售楼中心电话→楼盘百科→24小时电话

搜狐焦点池州站

2025-11-17 09:46:00

购房群

买房如何避坑,加入购房群,看看他们怎么说

立即进群

✅滨江兴耀松川境售楼处电话:400-678-1582转接分机号1111✅︎✅︎✅

⫸滨江兴耀松川境售楼处电话✆:400-678-1582转接分机号1111【官网认证】

✨营销中心电话✆:400-678-1582转接分机号1111【权威认证】

⫸本项目暂不接受临时到访,过来参观样板房请记得提前来电预约!

✅为您安排楼盘现场销售全程接待并讲解,给您更贴心的看房体验!

⫸来电预约也可了解楼盘最新动态、房价、在售户型、最新房源等信息

一脉奥体·双地铁·纯改高层+排屋,滨江兴耀松川境即将首开!

01

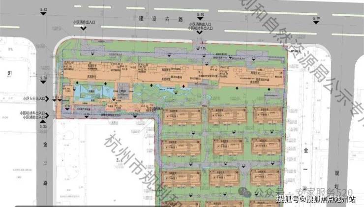
项目基本信息

【建筑面积】约79760㎡

【占地面积】约26650㎡

【规划户数】约232户

【容积率】约1.8

【绿地率】约30%

【成交楼面价】28713元/㎡

【高层面积】约169-200㎡

【排屋面积】约300-332㎡

1

拿地回顾

4月1日,经过12轮报价,兴耀以13.8亿元总价拿下市北单元XS070103-41地块,折合楼面价约2.87万/平,溢价率36.7%!

2

产品规划

项目容积率仅1.8,在寸土寸金的江南岸显得尤为珍贵,产品打造上,采用“高低配”布局形式,北侧规划3幢17层小高层,户型面积约169-200㎡,南侧规划12幢稀缺排屋,户型面积约300-332㎡。

这种“高层揽景+排屋隐逸”的双重布局,在奥体腹地近乎绝版,尤其当板块新房以清一色高层或者高层+叠墅为主时,院墅形态更成为硬通货级的存在。

对向往城市繁华却眷恋土地温情的家庭而言,这是无需妥协的选择题。

3

奢阔尺度

兴耀对空间价值的理解,藏在层高的细节里。

当大部分高层标准层止步3米线,市北西高层直接拔升到约3.05米,配合约4.45米挑高架空层,为泛会所式社群场景预留更多可能。

排屋更见巧思:首层约4.19米层高奠定空间气场,上层约3.8米延续舒展感,顶层露台则成为衔接天光的留白。

每一个纵向寸土,都是对圈层生活品质的无声承诺。

4

美学立面

高层用浅色金属板与铝线条碰撞,削减玻璃幕墙的冷感;排屋则通过浅色石材、深灰格栅、浅色铝型材构成视觉咬合,让现代肌理与土地产生深度联结。

更值得期许的是西主入口引导的下沉庭院与景观水系——当人群在立体庭院中漫步,当水系倒映建筑轮廓,生活的丰盈感由此蔓延。

兴耀金沙院子实景图丨非本项目·仅作为产品力展示

兴耀部分产品实景图丨仅供参考·非本项·仅作为产品力展示

02

项目配套资源

1

双地铁+快速路,贯通城市脉络

直线约860米,可达地铁15号线与7号线交汇的明星路站,2站迅达奥体核心,3站直抵钱江新城。

驾车出行同样从容——博奥路贯穿南北,约20分钟接驳奥体中心,约22分钟畅达万象城;建设二路/四路横贯东西,约15分钟直通滨江银泰/天街生活圈, 机场高速更是约30分钟速达萧山国际机场。

这种“地铁双轨+城市动脉”的布局,让通勤与差旅皆成坦途。

2

顶流商业矩阵,点亮日常丰盈

项目西北方向仅约300米, 龙湖天街(体量约10万方)已正式落定,预计2027年开业,将融合高端康养打造全新商业地标。

驱车向北约1.5公里即为奥体印象城,作为辐射全城的商业旗舰,聚合山姆会员店及300+精选品牌;向南延伸约3公里,年销售额达30亿的萧山万象汇尽显首店经济魅力;同时地铁3站还可抵达即将启幕的SKP,未来也将携国际奢侈矩阵改写城市消费格局。

3

全龄优教链,护航成长轨迹

对家庭而言,教育资源的厚度即是未来竞争力。

项目直线约1公里内,两大名校形成教育双核: 信息港小学(科大讯飞+浙大教育集团联办)奠定全人教育基石;崇文世纪实验学校(48班现代化公立)以创新理念引领成长。

更高学段同样硬核——约1公里处的信息港初中(北京外国语大学附属)2024年:184人中考,616+20人,占比10.87%,重高率(571+):53%,而约4公里的学军文渊初中更是竞赛优才的摇篮。

这条从启蒙到升学的黄金链路,将知识转化为阶跃的力量。(注:新房不承诺学区,以交付后划分为准)

4

双核医疗矩阵,守护健康防线

项目直线约1公里半径内,两大三甲构筑医疗双翼: 浙大附属妇产科医院以约12.5万方规模深耕妇科、产科及生殖医学;浙二博奥院区凭借全国顶尖的泛血管介入中心构筑急救防线。

更值得期许的是,与龙湖天街共构的高端康养医疗中心 (距项目约300米)即将落地,为家庭提供预防-诊疗-康复全周期服务。

辅以约20分钟车程内的滨江儿保、浙二滨江院区等资源,健康守护已成闭环生态。

5

产城共生体,激活未来动能

项目与占地约9.5平方公里的信息港小镇仅约1公里之隔,这里集聚科大讯飞、微医、无忧传媒等领军企业,形成AI医疗、集成电路、新消费三大产业集群,吸引7家上市企业、30家独角兽入驻。

✅滨江兴耀松川境售楼处电话:400-678-1582转接分机号1111✅︎✅︎✅

⫸滨江兴耀松川境售楼处电话✆:400-678-1582转接分机号1111【官网认证】

✨营销中心电话✆:400-678-1582转接分机号1111【权威认证】

⫸本项目暂不接受临时到访,过来参观样板房请记得提前来电预约!

✅为您安排楼盘现场销售全程接待并讲解,给您更贴心的看房体验!

⫸来电预约也可了解楼盘最新动态、房价、在售户型、最新房源等信息

全部

相关资讯

报名成功
稍后会有专业的置业顾问联系您
返回楼盘

频道导航

返回首页

看房小程序

APP下载

电话拨通后,请您手动拨打分机号

确定拨打电话

电话号码:

分机号:(可能需要拨分机号)